RESOLUCIÓN 643 DE 2018
(mayo 30)
Diario Oficial No. 50.611 de 1 de junio de 2018
INSTITUTO GEOGRÁFICO AGUSTÍN CODAZZI SEDE CENTRAL
Por la cual se adoptan las especificaciones técnicas de levantamiento planimétrico para las actividades de barrido predial masivo y las especificaciones técnicas del levantamiento topográfico planimétrico para casos puntuales.
EL DIRECTOR GENERAL DEL INSTITUTO GEOGRÁFICO “AGUSTÍN CODAZZI”,
en ejercicio de la facultad otorgada por el numeral 3 del artículo 6o del Decreto número 2113 de 1992, numeral 1 del artículo 6o del Decreto número 208 de 2004, y
CONSIDERANDO:
Que el artículo 104 de la Ley 1753 de 2015, Plan Nacional de Desarrollo 2014-2018, “Todos por un nuevo país”, dispone la implementación de un catastro nacional con enfoque multipropósito, para contribuir con la seguridad jurídica del derecho de propiedad inmueble, el fortalecimiento de los fiscos locales, el ordenamiento territorial y la planeación social y económica. Un catastro que debe lograr la plena coherencia con el registro público de la propiedad, cuya información, junto con la del ordenamiento territorial, será la base del Sistema Nacional de Gestión de Tierras (SNGT);
Que de acuerdo con lo definido en el documento CONPES 3859 de 2016, “Política para la adopción e implementación de un Catastro Multipropósito Rural-Urbano”, se propone la conformación y sostenimiento de un catastro multipropósito acorde con estándares internacionales, coherente con el registro público de la propiedad inmueble, a partir de levantamientos por barrido predial masivo;
Que el referido documento CONPES estableció para la implementación del catastro multipropósito el desarrollo de una fase piloto. Para ello, el Instituto Geográfico Agustín Codazzi (IGAC), como máxima autoridad catastral del país, produjo en 2016 el documento de Conceptualización y Especificaciones Técnicas para la operación del Catastro Multipropósito V.2.1.1.;
Que una de las especificaciones técnicas generadas fue la de levantamiento planimétrico, para ser empleada en desarrollo del barrido predial masivo de la fase piloto, modificada por el IGAC como consecuencia de sus revisiones internas y los resultados parciales del piloto base de catastro multipropósito;
Que la modificación realizada, entre otros aspectos, enfatiza en ciertas exigencias para los levantamientos planimétricos en actividades de barrido predial masivo que tengan como finalidad el Ordenamiento Social de la Propiedad (OSP) y la seguridad jurídica, sin perjuicio de los levantamientos de predios cuyos fines no sean los mencionados, para los cuales se contemplan unas especificaciones más flexibles;
Que el Comité Operativo Directivo (COD) de Catastro Multipropósito número 17, del 11 de abril de 2018, en el cual participan el Departamento Nacional de Planeación (DNP), el IGAC, la Superintendencia de Notariado y Registro (SNR) y la Agencia Nacional de Tierras (ANT) –como miembros principales–, aprobó la mencionada modificación, presentada por el Instituto, la cual será aplicable, entre otros escenarios, en el desarrollo de las actividades de barrido predial masivo de los ejercicios de catastro multipropósito, incluidos aquellos con fines de OSP y, en general, cuando se busque una contribución a la seguridad jurídica;
Que se hace necesario considerar que el IGAC y la SNR expidieron la Resolución Conjunta número 1732 (SNR) y 221 (IGAC) del 21 de febrero de 2018, con vigencia desde el 1 de mayo, “por la cual se establecen lineamientos y procedimientos para la corrección o aclaración, actualización, rectificación de linderos y área, modificación física e inclusión de área de bienes inmuebles”, que en términos de implementación remite a las especificaciones técnicas definidas por la máxima autoridad catastral, para los levantamientos planimétricos o topográficos de los predios a los que alude esa regulación;
Que la citada resolución conjunta busca generar soluciones a las inconsistencias de la información catastral y registral que suelen presentarse en las transacciones y demás actos sobre bienes inmuebles, y ajustar la información de los sistemas de catastro y registro a la realidad física de estos bienes en territorio, como contribución a la seguridad jurídica, mediante actuaciones administrativas promovidas por parte de las autoridades catastrales o solicitadas por los propietarios de los predios, en el marco de los procesos de formación, actualización y conservación catastral;
Que como lo señala la comentada resolución conjunta en sus consideraciones, “(...) la información de linderos y área del registro de instrumentos públicos se valora como la realidad jurídica del derecho de propiedad inmueble (…)”, la cual debe procurarse se unifique con la realidad física de los bienes inmuebles, a partir del correcto levantamiento predial por las autoridades catastrales, con la participación de los actores interesados, como determinación del objeto de la propiedad, en favor de la confianza y seguridad jurídica;
Que, para los propósitos de la mencionada resolución conjunta, se estima pertinente que en los procesos de formación o actualización catastral donde esta se utilice, la especificación técnica de levantamiento planimétrico a emplearse sea la aprobada por el señalado COD número 17 de catastro multipropósito, para las actividades de barrido predial masivo;
Que, para casos puntuales, tramitados en el marco de la referida resolución por el proceso de conservación catastral, se considera no aplica la especificación técnica de levantamiento planimétrico para actividades de barrido predial masivo, por la naturaleza misma del procedimiento. En consecuencia, se realizaron ajustes a la especificación de levantamiento topográfico o planimétrico predial que venía siendo usada en proyectos de infraestructura, a efectos de actualizarla y para atender con suficiencia las necesidades de los trámites puntuales, en el contexto de las disposiciones de la Resolución Conjunta IGAC-SNR, guardando coherencia en lo pertinente con la especificación de levantamiento planimétrico del barrido predial masivo;
Que mediante la presente resolución se adoptará la especificación técnica de levantamiento planimétrico para las actividades de barrido predial masivo del catastro multipropósito, integrando en ella las necesidades de los levantamientos que tienen como fin el OSP, la seguridad jurídica y los procesos de formación y actualización catastral en el marco de la Resolución Conjunta IGAC-SNR, y se adoptará la especificación técnica del levantamiento topográfico o planimétrico predial para casos puntuales adelantados mediante proceso de conservación catastral, que obedezcan a la precitada resolución conjunta o que surjan con ocasión de los proyectos de infraestructura;
Que, para la ejecución de los levantamientos planimétricos dentro de las actividades del barrido predial masivo o los levantamientos topográficos o planimétricos en casos puntuales, deberá tenerse en cuenta la información contenida en el registro de instrumentos públicos como realidad jurídica del derecho de propiedad inmueble;
En mérito de lo expuesto,
RESUELVE:
ARTÍCULO 1o. OBJETO. Adoptar las especificaciones técnicas del levantamiento planimétrico para las actividades de barrido predial masivo y las especificaciones técnicas del levantamiento topográfico o planimétrico para los casos puntuales, las cuales forman parte integral del presente acto administrativo, en sus Anexos número 1 y número 2 respectivamente.
ARTÍCULO 2o. ÁMBITO DE APLICACIÓN. Las especificaciones técnicas adoptadas deben ser acatadas por las autoridades catastrales, los catastros delegados, y demás entidades que en razón de sus competencias tengan a cargo el levantamiento planimétrico del barrido predial masivo o el levantamiento topográfico o planimétrico para los casos puntuales, cuando se prendan de ellos efectos catastrales. En consecuencia, serán responsables del cumplimiento de las mismas en el desarrollo de los procesos a su cargo, sin perjuicio de la verificación que pueda realizar el Instituto Geográfico Agustín Codazzi (IGAC).
PARÁGRAFO. Para la ejecución de los levantamientos planimétricos del barrido predial masivo o los levantamientos topográficos o planimétricos en los casos puntuales, deberá tenerse en cuenta la información contenida en el registro de instrumentos públicos como realidad jurídica del derecho de propiedad inmueble.
ARTÍCULO 3o. ESPECIFICACIÓN TÉCNICA DEL LEVANTAMIENTO PLANIMÉTRICO PARA LAS ACTIVIDADES DE BARRIDO PREDIAL MASIVO. Esta especificación deberá cumplirse para los levantamientos planimétricos prediales que se realicen en desarrollo de las actividades de barrido predial masivo de catastro multipropósito, en las de Ordenamiento Social de la Propiedad (OSP) y en los procesos de formación y actualización catastral en el marco de la Resolución Conjunta números 1732 (SNR) y 221 (IGAC) del 21 de febrero de 2018.
ARTÍCULO 4o. ESPECIFICACIÓN TÉCNICA DEL LEVANTAMIENTO TOPOGRÁFICO O PLANIMÉTRICO PREDIAL PARA CASOS PUNTUALES. Esta especificación deberá cumplirse para los levantamientos topográficos o planimétricos prediales que se desarrollen en el marco de la Resolución Conjunta números 1732 (SNR) y 221 (IGAC) de 2018 sobre casos puntuales y los proyectos de infraestructura.
ARTÍCULO 5o. IMPLEMENTACIÓN. El Instituto Geográfico Agustín Codazzi (IGAC), las autoridades catastrales y los catastros delegados, adaptarán sus procesos y sistemas de acuerdo con el contenido de las especificaciones técnicas adoptadas para su oportuna implementación.
ARTÍCULO 6o. VIGENCIA. La presente resolución rige a partir de su publicación en el Diario Oficial para el desarrollo de las actividades de que tratan los artículos 3o y 4o; en los demás casos, se seguirá los procedimientos definidos por las autoridades catastrales para sus procesos de formación, actualización y conservación catastral.
Publíquese, comuníquese y cúmplase.
Dada en Bogotá, D. C., a 30 de mayo de 2018.
El Director General,
Juan Antonio Nieto Escalante.
ESPECIFICACIONES TÉCNICAS DE LEVANTAMIENTO PLANIMÉTRICO PARA LAS ACTIVIDADES DE BARRIDO PREDIAL MASIVO.
Contenido
1. Prefacio.
1.1. Identificación del alcance.
1.2 Nivel jerárquico del alcance.
1.3 Título.
1.4 Fecha.
1.5 Responsable:
1.6 Estándar de referencia.
1.7 Idioma.
1.8 Categoría del tema
1.9 Términos y definiciones.
1.10 Abreviaturas.
1.11 Extensión espacial
1.12 Mantenimiento de la especificación.
2. Identificación del producto.
2.1. Alcance.
2.2. Título del producto.
2.3. Resumen del contenido del producto
2.4 Propósito del producto.
2.5 Categoría temática
2.6 Tipo de representación espacial.
2.7 Resolución espacial.
2.8 Extensión geográfica.
3. Estructura y contenido de los datos.
3.1 Alcance.
3.2 Descripción narrativa o identificador de los datos.
3.3 Catálogo de objetos.
3.3.1 Título: Catálogo de Objetos Geográficos de Catastro.
4. Sistemas de referencia.
4.1 Sistema de referencia espacial.
4.1.1. Datum Geodésico.
4.1.2. Proyección cartográfica
4.2 Sistema de referencia vertical.
4.3 Sistema de referencia temporal.
5. Calidad de los datos.
5.1 Alcance o nivel de medición de la calidad: Objeto.
5.1.1 Tipo de Objeto: Punto de levantamiento/punto lindero.
5.1.2 Elemento: Exactitud posicional aabsoluta o externa.
5.1.2.1. Medida
5.1.2.2 Método de evaluación.
5.1.2.3 Resultado cuantitativo.
5.1.2.1. Medida.
5.1.2.2 Método de evaluación
5.1.2.3 Resultado cuantitativo.
5.2 Alcance o nivel de medición de la calidad: Instancia de objeto.
5.2.1 Nombre: Puntos lindero que no conforman manzana
5.2.2 Elemento de calidad: Exactitud posicional / Relativa o interna.
5.2.2.1 Medida
5.2.2.2 Método de evaluación
5.2.2.3 Resultado cuantitativo.
5.3 Alcance o nivel de medición de la calidad: Instancia de objeto.
5.3.1 Nombre: Frente de lote en manzana.
5.3.2 Elemento de calidad: Exactitud posicional / Relativa o interna.
5.3.2.1 Medida.
5.4 Alcance o nivel de medición de la calidad: Tipo de objeto.
5.4.1 Nombre: Construcción.
5.4.2 Elemento de calidad: Exactitud posicional / Relativa o interna.
5.5 Alcance o nivel de medición de la calidad: Conjunto de datos.
5.5.1 Nombre: Terreno
5.5.2 Elemento de calidad: Totalidad/Omisión.
5.5.2.1 Medida.
5.4.2.2 Método de evaluación.
5.5.2.3. Resultado cuantitativo.
5.6 Alcance o nivel de medición de la calidad: Atributo
5.6.1 Nombre: Longitud, Área
5.6.2 Elemento de calidad: Exactitud de un atributo cuantitativo
5.6.2.1 Medida
5.6.2.2 Método de evaluación.
5.6.2.3 Resultado cuantitativo.
5.7 Alcance o nivel de medición de la calidad: Tipo de objeto.
5.7.1 Nombre: Unidad de construcción.
5.7.2. Elemento de calidad: Totalidad/Comisión.
5.7.2.1 Medida.
5.7.2.2 Método de evaluación.
5.7.2.3 Resultado cuantitativo.
5.8 Alcance o nivel de medición de la calidad: Tipo de objeto.
5.8.1 Nombre: Unidad de construcción.
5.8.2 Elemento de calidad: Totalidad/Omisión
5.8.2.1 Medida
5.8.2.2.. Método de evaluación.
5.8.2.3.. Resultado cuantitativo
5.9 Alcance o nivel de medición de la calidad: Tipo de objeto.
5.9.1 Nombre: Servidumbre de paso.
5.9.2 Elemento/Subelemento de calidad: Totalidad/Omisión.
5.9.2.1 Medida
5.9.2.2 Método de evaluación.
5.9.2.3 Resultado cuantitativo.
5.10. Alcance o nivel de medición de la calidad: Tipo de objeto.
5.10.1 Nombre: Lindero.
5.10.2 Elemento: Consistencia lógica/Conceptual.
5.10.2.1 Medida.
5.10.2.2.. Método de evaluación.
5.10.2.3.. Resultado cuantitativo.
5.11.. Alcance o nivel de medición de la calidad: Conjunto de datos.
5.11.1 Nombre: Base de datos.
5.11.2 Elemento: Consistencia lógica/Conceptual.
5.11.2.1 Medida.
5.11.2.2. Método de evaluación.
5.11.2.3. Resultado cuantitativo.
6. Captura de los datos.
6.1. Alcance.
6.2. Declaración del proceso de captura de los datos
7. Mantenimiento.
8. Representación.
8.1 Catálogo de representación croquis.
8.2 Representación de predios.
9. Distribución del producto de datos
10.Metadatos.
1. Prefacio
El presente documento constituye la primera modificación a la versión del anexo 2: Especificación técnica de Levantamiento Planimétrico Predial, del documento Conceptualización y Especificaciones para la operación del Catastro Multipropósito V.2.1.1. Lo anterior, a partir de la revisión que venía ejecutándose, con fundamento del documento de la Infraestructura Colombiana de Datos Espaciales Tecnicas para productos de datos geograficos"(1), y los resultados parciales del piloto base de Catastro Multipropósito, socializados el 26 de enero de 2018, en el marco del Comité Operativo Directivo (COD). La versión definitiva, que se emplearía en la fase de escalamiento del Catastro Multipropósito (CM), correspondería a aquella que se derive, entre otros, de la evaluación final de resultados de los ejercicios del piloto de CM.
Uno de los cambios fundamentales está relacionado con la tabla de exactitud posicional absoluta, donde se eliminan las zonas y la clasificación por tamaño de predios. Si bien es cierto en términos de eficiencia para la operación de un CM se concibe una caracterización de los predios en función del conjunto de variables asociadas a las particularidades locales en las cuales se realiza el barrido, también lo es que su implementación práctica ha mostrado que termina siendo restringida, especialmente por la ausencia de una zonificación previa con la resolución adecuada. Adicionalmente, se ha observado una alta incertidumbre relacionada con el tamaño de los predios "a priori", con riesgos asociados a la aceptación del producto.
Con relación a los niveles de exactitud posicional, se realizan ajustes que preservan y afinan las exigencias respecto de los levantamientos planimétricos que tengan como finalidad, entre otros, el ordenamiento social de la propiedad o la seguridad jurídica. Para los demás casos, entre tanto se materializa la versión definitiva de las especificaciones para el escalamiento del CM, la exactitud posicional se flexibiliza, debiéndose valorar su impacto en el CM, como base de un sistema de administración de tierras, puntualmente la pérdida de interoperabilidad posicional, reflejada en una menor precisión en el establecimiento de las relaciones espaciales asociadas con los derechos, restricciones y responsabilidades (RRR por sus siglas en inglés).
De otra parte, como la reducción en la exactitud absoluta afecta directamente el área de los predios en función de su tamaño, se incluyen requerimientos de exactitud posicional relativa(2) para mantener las características dimensionales de los elementos del predio
1.1. Identificación del alcance
Esta especificación describe las características técnicas que debe cumplir el levantamiento planimétrico predial por barrido predial masivo en Colombia. Comprende los capítulos de la norma técnica ISO 19131 de especificación técnica, referencia el catálogo de objetos y contiene los descriptores de calidad basados en la norma ISO 19157.
Los levantamientos planimétricos prediales que tengan como finalidad el ordenamiento social de la propiedad o los procesos de formación y actualización catastral con ocasión de la Resolución conjunta 1732 (SNR) y 221 (IGAC) de 2018 o, en general, la seguridad jurídica, deberán partir y considerar la información de cabida y linderos contenida en los títulos o demás actos inscritos en el registro de instrumentos públicos (escrituras públicas, actos administrativos, sentencias, etc.), para proceder con las actividades de oficina y campo propias del levantamiento, con la comparecencia de los actores interesados, según corresponda.
1.2 Nivel jerárquico del alcance
Conjunto de datos
1.3 Título
Especificación técnica de Levantamiento Planimétrico Predial por Barrido Masivo
1.4 Fecha
Última actualización: 23/04/2018
1.5 Responsable:
Instituto Geográfico Agustín Codazzi
Cargo: Subdirección de Catastro
Tipo de rol; Autor, Custodio
Dirección: Carrera 30 # 48-51, Bogotá D.C, Colombia
Teléfono: 57 1 3694100.
1.6 Estándar de referencia
ISO 19131:2007
1.7 Idioma
Español
1.8 Categoría del tema
Catastro
1.9 Términos y definiciones Barrido predial masivo: proceso de levantamiento, registro y disposición de información física, jurídica, material, económica y social de propósito múltiple, de la totalidad de los predios de una unidad de intervención territorial, con continuidad en espacio y tiempo. (IGAC-SNR)
Calidad: conjunto de características de los datos geográficos que describen su capacidad para satisfacer necesidades establecidas e implícitas. (NTC 5043)
Catálogo de objetos: primera aproximación a una representación abstracta y simplificada de la realidad en una estructura que organiza los tipos de objetos espaciales, sus definiciones y características (atributos, relaciones y operaciones). (NTC 5661)
Catálogo de representación (o catálogo de símbolos): documento que recopila la información de la simbología que responde a las necesidades gráficas para cada uno de los objetos del catálogo de objetos geográficos, siendo además el insumo básico para conformar la base de datos de símbolos que represente gráficamente la información geográfica digital.
Catastro multipropósito: aquel que dispone información predial para contribuir con la seguridad jurídica del derecho de propiedad inmueble, el fortalecimiento de los fiscos locales, el ordenamiento territorial y la planeación social y económica. (Ley 1753 de 2015). Conforma un sistema que integra y hace interoperable su información con la de los demás sistemas de la administración de tierras y del territorio, incluido el registro púbico de la propiedad inmueble, a partir de información física, jurídica, material, económica y social que se expresa predialmente mediante derechos, restricciones y responsabilidades.
Confiabilidad: expresión del nivel de control sobre veracidad de la información.
Conjunto de datos: colección identificable de datos. (ISO 19157) Grupo de datos geográficos relacionados, que han sido capturados o generados de acuerdo con unas especificaciones técnicas previamente determinadas. (NTC 5660). Un conjunto de datos puede ser una agrupación más pequeña, el cual, aunque limitado por alguna constricción, tal como la extensión espacial o el tipo de objeto geográfico, puede localizarse dentro de un conjunto de datos más grande. (ISO 19157)
Coordenada: cada una de las magnitudes que determinan la posición de un punto en un sistema de referencia. (IGAC)
Coordenadas cartesianas locales: sistema de coordenadas planas definidas sobre una proyección cartesiana local. (IGAC)
Coordenadas geográficas: sistema de coordenadas curvilíneas definidas sobre el elipsoide de referencia. Se expresan como latitud (lat) y longitud (lon), medidas como distancias angulares desde el ecuador y el meridiano origen, respectivamente.
Construcción o edificación: unión de materiales adheridos al terreno con carácter permanente, cualesquiera sean los elementos que la constituyan.
Elemento de calidad: componente cuantitativo que describe la calidad de un conjunto de datos geográficos y forma parte de un informe de calidad. (NTC 5660)
Entidad: son representaciones de elementos ubicados en la superficie de la tierra o cercanas a ella. Una entidad puede ser representada como puntos, líneas o polígonos.
Escala: relación de proporcionalidad que existe entre la distancia representada sobre una aerofotografía, carta, mapa u otro modelo y su distancia real en el terreno.
Especificación: documento en el que se describen detalladamente las características o condiciones mínimas que debe cumplir un producto geográfico, con el fin de crearlo, proveerlo y usarlo de manera estandarizada, permitiendo la interoperabilidad entre los datos y maximizando la calidad de la información.
EPSG: (European Petroleum Survey Group) base de datos estructurada y estandarizada de Sistemas de Referencias de Coordenadas.
Esquema conceptual: descripción formal de un modelo conceptual. (NTC 5662)
Exactitud posicional absoluta: proximidad de los valores reportados de las coordenadas a los valores verdaderos o aceptados como tales. (ISO 19157)
Exactitud posicional relativa: posición de un elemento o conjunto de elementos con respecto a la posición de los demás elementos del conjunto. (ISO 19157)
Fiable: Característica o atributo asignado a un punto lindero medido, cuya identificación y exactitud ha sido verificada de forma inequívoca en el terreno. (IGAC)
Formulario predial catastral: documento donde se registra el conjunto datos relacionados con los componentes físico, jurídico, material y económico en el proceso de barrido predial del catastro multipropósito. (IGAC)
LADM: modelo para el Ámbito de la Administración del Territorio (Land Administration Domain Model). Es un esquema conceptual que refuerza la adopción de estándares y componentes estructurales para los sistemas catastrales, evaluados de acuerdo con las Infraestructuras de Datos Espaciales (IDE), posibilitando la disponibilidad, accesibilidad, integración y uso de los datos catastrales.
Latitud: distancia angular medida a lo largo de un meridiano entre un punto de la superficie terrestre y el paralelo del Ecuador. Proporciona la localización de un punto al norte o al sur del Ecuador.
Levantamiento planimétrico: conjunto de operaciones necesarias para representar la superficie del terreno como un plano horizontal sobre el cual se proyectan los detalles y accidentes, prescindiendo de las alturas.
Levantamiento planimétrico predial: Conjunto de operaciones ejecutadas sobre el terreno con los instrumentos adecuados, para representar el bien inmueble en un plano horizontal, sobre el cual se proyectan los linderos y construcción.
Lindero: línea de división que separa un predio de otro.
Longitud: distancia angular entre un lugar cualquiera de la superficie terrestre y el meridiano de Greenwich. Se expresa con medidas angulares que van desde 0º a 180º al este u oeste de dicho meridiano.
MAGNA..SIRGAS: densificación de SIRGAS y por tanto del marco internacional de referencia -ITRF- en Colombia. Está compuesto de un conjunto de estaciones con coordenadas geocéntricas [X Y Z] de alta precisión y cuyas velocidades [VX, VY, VZ] (cambio de las coordenadas con respecto al tiempo) son conocidas; dichas estaciones conforman la materialización del sistema de referencia global para Colombia. Sus coordenadas época 1995.4. Está constituido por estaciones pasivas y de funcionamiento continuo.
Medición controlada: procedimiento que asegura la veracidad y fiabilidad de cada punto medido
Predio: unidad espacial de terreno con o sin construcciones, perteneciente a personas naturales o jurídicas, públicas o privadas, que está sujeto a derechos y responsabilidades, y sobre el cual pueden recaer restricciones. El predio no pierde su unidad por estar atravesado por bienes de uso público como vías y superficies de agua.
Predio rural: es el ubicado fuera de los perímetros urbanos: cabecera, corregimientos y otros núcleos aprobados por el Plan de Ordenamiento Territorial. (Resolución 070 de 2011)
Predio urbano: es el ubicado dentro del perímetro urbano. (Resolución 070 de 2011)
Proyección cartesiana local: proyección cartográfica que utiliza un plano a la altura media del terreno, como referencia para representar los elementos de la superficie terrestre. Se utiliza para extensiones en las cuales se considera que la curvatura terrestre y las diferencias de elevación no generan distorsiones que afecten la tolerancia en la precisión de la escala.
Punto lindero: Punto que define el lindero de un predio. La sucesión de estos puntos forma una línea que representa el límite entre dos predios.
Servidumbre: Servidumbre predial o simple servidumbre, es un gravamen impuesto sobre un predio, en utilidad de otro predio de distinto dueño. (artículo 879 y siguientes, Código Civil Colombiano)
Unidad de construcción: edificación dentro de un predio, que tiene unas características específicas en cuanto a uso y elementos constitutivos físicos. (Artículo 21 Resolución 070 de 2011)
Terreno: porción de tierra con una extensión geográfica definida. (Artículo 22 Resolución 070 de 2011)
1.10 Abreviaturas
BPM: Barrido Predial Masivo
CE: Error Circular
CM: Catastro Multipropósito
RMSE: Raíz del Error Cuadrático Medio
CL: Calidad Límite
CPPC: Certificado Plano Predial Catastral
COD: Comité Operativo Directivo
EPSG: European Petroleum Survey Group
FPC: Formulario Predial Catastral
IGAC: Instituto Geográfico Agustín Codazzi
ICDE: Infraestructura Colombiana de Datos Espaciales
LADM: Modelo para el Ámbito de la Administración del Territorio
LPP: Levantamiento Planimétrico Predial
MAGNA.. SIRGAS: Marco Geocéntrico Nacional de Referencia
POT: Plan de Ordenamiento Territorial
1.11 Extensión espacial
Comprende el espacio geográfico de la entidad territorial o unidad de intervención catastral a través del barrido predial masivo.
1.12 Mantenimiento de la especificación
Esta especificación está sujeta a cambios en función de los resultados finales de los ejercicios del piloto de CM, que actualmente se encuentran bajo la coordinación del Departamento Administrativo Nacional de Planeación (DNP).
1.13. Campos de aplicación de la especificación:
La presente modificación tendrá aplicación práctica en desarrollo de las actividades del barrido predial masivo del Catastro multipropósito, en las de ordenamiento social de la propiedad por oferta y en los procesos de formación y actualización catastral en el marco de la Resolución conjunta 1732 (SNR) y 221 (IGAC) de 2018, que se adelanten en territorio de Colombia.
2. Identificación del producto
El levantamiento planimétrico predial por barrido predial masivo es el resultado de la determinación por métodos directos o indirectos de las coordenadas horizontales que definen el terreno, las construcciones y las servidumbres de tránsito activas de un conjunto de predios.
2.1. Alcance
El levantamiento planimétrico predial se realiza para conjuntos de predios en un ámbito espacial y temporal continuo, y aplica a los trabajos de identificación y reconocimiento predial por barrido predial masivo para CM.
2.2. Título del producto
Levantamiento planimétrico predial
2.3. Resumen del contenido del producto
Es el conjunto de datos geográficos que contiene el levantamiento planimétrico de cada uno de los predios de una entidad territorial o unidad de intervención catastral por barrido predial masivo con fines de CM. Comprende el reconocimiento y levantamiento, por métodos directos o indirectos, de las coordenadas horizontales de los objetos que componen los terrenos, las construcciones y las servidumbres de tránsito de cada predio, de conformidad con el modelo de datos de catastro y el perfil LADM adoptado para Colombia. La determinación de coordenadas y en general las operaciones de levantamiento pueden adelantarse por métodos directos (por ejemplo, topográficos) o indirectos (por ejemplo, fotogramétricos), siempre que se cumpla con los requisitos definidos en esta especificación técnica.
La determinación de distancias de lindero y áreas de terreno se realiza utilizando planos topográficos locales y los resultados se presentan como atributo en la base cartográfica digital en el datum MAGNA SIRGAS.
2.4 Propósito del producto
Servir como base de un sistema de administración de tierras, que garantice coherencia con el registro público de la propiedad y se articule con otras coberturas de información. Contribuir con la seguridad jurídica del derecho de propiedad y la regularización con transparencia, mediante la descripción técnica de linderos y la precisión del área de los predios. Servir como base para el fortalecimiento de los fiscos municipales y contribuir al ordenamiento territorial y la planeación social y económica.
2.5 Categoría temática
Catastro
2.6 Tipo de representación espacial
Vector
2.7 Resolución espacial
No aplica
2.8 Extensión geográfica
La extensión geográfica del conjunto de datos está determinada por las coordenadas geográficas extremas del polígono que define los límites de la entidad geográfica o de intervención por barrido predial masivo.
3. Estructura y contenido de los datos
3.1 Alcance
El alcance del catálogo de objetos de catastro es inventariar, organizar y clasificar los objetos geográficos generados en los procesos catastrales, documentando para cada uno sus definiciones, atributos, relaciones y operaciones aplicables, de conformidad con el modelo LADM_COL. Esto, con el fin de que tanto productores como usuarios de la información puedan acceder, utilizar y comprender de manera clara la estructura de la información catastral.
3.2 Descripción narrativa o identificador de los datos
El levantamiento planimétrico predial se realiza para predios con relaciones formales e informales de tenencia, públicos y privados, urbanos y rurales, cubriendo la totalidad de la jurisdicción definida en el respectivo proyecto. Deberá documentarse completamente los objetos que hacen parte del proceso de medición y aquellos que describen la representación del levantamiento planimétrico predial.
3.2.1.Grupo 0101: "Objetos legales"
Conjunto de elementos presentes en la realidad que conforman el espacio geográfico correspondiente a un bien inmueble, objeto de derechos, restricciones y responsabilidades por parte de personas naturales o jurídicas.
| Código | Objeto | Definición |
| 010101 | Predio | Porción de terreno delimitable, ubicado dentro o fuera del perímetro urbano de un municipio, que puede o no, contar con título de dominio debidamente inscrito en el registro público. |
| 0101012 | Terreno | Porción de tierra con extenión geográfica definida. (resolución 70 de 2011). El terreno de un predio está definido por sus linderos. |
| 010103 | Lindero | Línea de división que separa un predio de otro |
| 010104 | Construcción | Una construcción o edificación es la unión de materiales adheridos al terreno, con carácter de permanente, cualesquiera sean los elementos que la constituyan. (resolución 070 de 2011) |
| 010105 | Unidad de Construcción | Es cada conjunto de materiales consolidados dentro de un predio que tiene características específicas en cuanto a elementos constitutivos físicos y usos de la misma. (Resolución 070 de 2011) |
| 010106 | Servidumbre de paso | Es un gravamen impuesto sobre un predio, en utilidad de otro predio de distinto dueño que se halla destituido de toda comunicación con el camino público por la interposición de otros predios; en cuanto fuere indispensable para el uso y beneficio de su predio, pagando el valor del terreno necesario para la servidumbre, y resarciendo todo otro perjuicio. |
Tabla 1: Objetos legales
3.2.2. Grupo 0104:"Medicion"
Operación para la determinación de las coordenadas geográficas o planimetrías del elemento punto, que son base para el levantamiento planímetro predial.
| Código | Objeto | Definición |
| 010401 | Punto de control | Punto materializado o fotoidentificable, cuyas coordenadas (horizontales y verticales) fueron obtenidas por métodos geodésicos de alta precisión y están ligadas a u sistema de referencia Datum Magna Sirgas. |
| 010402 | Punto de lindero | Punto que define el lindero de un predio. La sucesión de estos puntos forman una línea que representa el límite entre dos terrenos. |
| 010403 | Punto de levantamiento | Punto demarcado que representa la posición horizontal de un vértice de construcción, unidad de construcción y/o servidumbre de paso. |
Tabla 2. Medición
3.3 Catálogo de objetos
El catálogo de objetos de catastro tiene como propósito organizar y documentar los objetos geográficos correspondientes al tema catastro. Ha sido definido bajo los requisitos de la norma técnica colombiana NTC 5661: Metodología para la catalogación de objetos geográficos; contiene los objetos legales resultado del levantamiento planimétrico predial, conforme con lo establecido en el núcleo del perfil del modelo de dominio para la administración de tierras LADM_COL, para el barrido predial masivo de CM.
En el proceso de levantamiento planimétrico predial se deberá documentar completamente la informacion de los grupos "Objetos legales" y "Medicion" del Catalogo de objetos.
3.3.1 Título: Catálogo de Objetos Geográficos de Catastro
3.3.2 Versión: 2.0
4. Sistemas de referencia
4.1 Sistema de referencia espacial
El sistema de referencia está definido por el Datum geodésico y la proyección cartográfica.
4.1.1. Datum Geodésico
El levantamiento predial rural debe ser georreferenciado al datum MAGNA-SIRGAS, según lo adoptado para Colombia, en la época de referencia vigente, establecida por el IGAC.
- Código del sistema de referencia espacial: EPSG 4686.
- Responsable del sistema de referencia: Instituto Geográfico Agustín Codazzi.
- Tipo de sistema de referencia espacial: Geodésico 2D
4.1.2. Proyección cartográfica
4.1.2.1 Levantamiento planimétrico
Para la determinación de áreas de terreno, construcciones y longitud de los linderos del predio, los puntos levantados y que forman líneas y polígonos, se deberá utilizar planos topográficos locales. Para el caso de centros urbanos, podrán utilizarse coordenadas planas cartesianas (cartesianos locales) con el origen establecido por el IGAC. Al crear un origen cartesiano (cartesiano local) se deberá aplicar la metodología establecida en el anexo 3 de la Conceptualización y Especificaciones para la Operación del Catastro Multipropósito V.2.1.1,"Metodologia para la definicion de origenes cartesianos". Para ello, deberán documentarse los parámetros del nuevo origen (latitud, longitud, falso norte, falso este y plano de proyección).
4.1.2.2 Base de datos de levantamientos planimétricos
La totalidad de los vértices que componen el levantamiento planimétrico predial deberán ser entregados en coordenadas geográficas (GCS_MAGNA) y coordenadas planas de Gauss, referidas al origen central MAGNA Colombia Origen Central).
- Código del sistema de referencia: EPSG 3116.
- Responsable del sistema de referencia: Instituto Geográfico Agustín Codazzi
- Tipo de sistema de referencia espacial: Proyección cartográfica
4.2 Sistema de referencia vertical
El componente de elevación de los conjuntos de coordenadas estará referido al Datum Buenaventura y su procesamiento estará basado en el modelo Geocol. Se deberá suministrar esta coordenada siempre que sea provista por el método de levantamiento, por ejemplo, con GNSS.
4.3 Sistema de referencia temporal
Calendario gregoriano.
5. Calidad de los datos
La calidad del conjunto de datos debe ser garantizada y evidenciada a nivel de cada uno de los predios a través de la formulación y ejecución de un plan de calidad, bajo los parámetros establecidos en el documento "Guia de Implementacion del Plan de Calidad" de la ICDE(3). La operación en el barrido predial masivo es compleja y de difícil reproducibilidad, razón por la cual el citado plan debe incluir todos los controles requeridos para el aseguramiento de la calidad durante el proceso y deberá ser aprobado antes del inicio de las actividades de barrido.
Las medidas de calidad previstas en el presente capítulo deben ser incluidas en el plan de calidad del responsable de la ejecución del proyecto. Cualquier modificación de procedimiento para el aseguramiento de la calidad deberá ser aprobada por la respectiva Autoridad catastral y de ninguna manera podrá afectar los requisitos mínimos del producto.
5.1 Alcance o nivel de medición de la calidad: Objeto.
5.1.1 Tipo de Objeto: Punto de levantamiento/punto lindero.
5.1.2 Elemento: Exactitud posicional absoluta o externa
La exactitud posicional debe ser asegurada y evidenciada durante el proceso de medición y determinada según el método de levantamiento. Cada uno de los puntos de lindero, construcción y eje de servidumbre de tránsito, debe cumplir los valores mínimos estipulados en la siguiente tabla:
| AMBITO | CE 95% | RMSEx/RMSEy |
| Urbano | 0,52m | 0,21m |
| Rural | 5,2m | 2,12m |
Tabla 3: Exactitud posicional absoluta
En aquellos municipios o áreas de ellos que cuenten con bases cartográficas de referencia con valores de exactitud posicional absoluta mejores a lo estipulado en la tabla anterior, los levantamientos prediales deberán tener la misma o superior exactitud para garantizar la interoperabilidad posicional.
Para los predios que requieran levantarse con fines de ordenamiento social de la propiedad o en desarrollo de los procesos de formación y actualización catastral con ocasión de la Resolución conjunta SNR (1732) e IGAC (221) de 2018 o, en general, para contribuir con la seguridad jurídica, cuando sean predios urbanos la exactitud posicional de la tabla 3 es suficiente, en tanto, que para predios rurales debe garantizarse la siguiente exactitud posicional:
| AMBITO | CE 95% | RMSEx/RMSEy |
| Rural | 1m | 0,41m |
Tabla 4. Exactitud posicional absoluta - seguridad jurídica
En cualquier caso, prevalecerá el valor de mayor exactitud cuando los puntos de lindero pertenezcan a dos ámbitos diferentes.
Ámbito urbano: Para efectos de la exactitud posicional se consideran urbanos todos los predios que se encuentran dentro de los límites del perímetro urbano, según lo establecido en el acuerdo municipal o POT o EOT. Igualmente, todo conglomerado con características urbanas y parcelaciones habitacionales, recreativas o industriales localizadas fuera del perímetro urbano. En lo posible, estas áreas serán identificadas sobre la cartografía básica antes de iniciar el barrido.
Consideraciones especiales y excepcionales: En Colombia, los linderos de los predios generalmente están definidos por elementos naturales o artificiales y excepcionalmente con macas topográfica fijas. Por lo anterior, en desarrollo de las mediciones para levantamiento planimétrico predial, es necesario definir tratamientos específicos a puntos de lindero con las siguientes características:
Puntos linderos variables: el carácter de intermitencia o fluctuación de las corrientes y superficies de agua genera una dinámica de cambio permanente en los puntos lindero que están definidos por este tipo de entidades, por lo tanto, no es necesario someterlos a la especificación de exactitud posicional y su trazado deberá guardar consistencia con las fuentes cartográficas de referencia, los cuales deberán ser de escala 1:10.000 o superior, clasificándose como puntos de lindero con valor de atributo confiabilidad: "no fiable". En ausencia de insumos cartografos debera realizarse el levantamiento en campo.
Puntos linderos definidos por formas del relieve (filo, cuchilla) o campos abiertos: En caso de aplicar medición directa en campo, se debe realizar demarcación temporal de los puntos lindero para garantizar la reproducibilidad de la medida. Si estos puntos son extraídos de fuentes cartográficas que cumplan los requisitos de exactitud posicional, será suficiente la verificación sobre dicho documento cartográfico, siempre que este no presente ambigüedades en la interpretación. En este caso se clasifican como puntos de lindero con valor de atributo confiabilidad: "no fiable"
Puntos linderos inaccesibles: cuando por condiciones de inaccesibilidad ocasionada por barreras naturales o por seguridad en la operación (ejemplo en campos minados) no se pueda realizar la medición directa, podrá determinarse la posición de puntos lindero sobre insumos cartográficos. Los puntos así determinados se clasifican como puntos de lindero con valor de atributo confiabilidad: "no fiable". Cuando esta situacion se presente de forma generalizada para áreas específicas, deberá ser debidamente evidenciada y autorizada por la respectiva autoridad catastral.
El atributo "no fiable" asignado a un punto lindero que cumple las caracteristicas especiales excepcionales mencionadas anteriormente, no implica la no conformidad de los levantamientos planimétricos, pues estas características obedecen a situaciones presentes que limitan la identificación inequívoca, las mediciones directas o cuya localización tiene carácter de transitorio por la dinámica de los cuerpos de agua.
Para el objeto «punto» que describe linderos se debe garantizar la calidad posicional, realizando una medición controlada de dicho objeto (sistema basado en la doble medición o mediante relaciones geométricas entre las diferentes mediciones en el levantamiento). Donde no sea posible establecer dichas relaciones geométricas, deberá realizarse doble medición independiente, así:
5.1.2.1. Medida
| Identificador de la medida | CT01 |
| Nombre de la medida | Error circular al 95% de significación |
| Alias de la medida | Exactitud de navegación |
| Nombre de la medida básica de calidad | CE95 |
| Definición de la medida básica | Radio que describe un círculo, en el cual se sitúa la localización verdadera del punto con una probabilidad del 95%. |
| Tipo de valor | Numérico |
| Nombre del parámetro | No aplica |
| Definición del parámetro | No aplica |
5.1.2.2 Método de evaluación
| Tipo de método de evaluación | Directo externo |
| Descripción del método de evaluación | Control por doble determinación: Control puntual de la exactitud posicional absoluta por comparación simple de valores estimados, para productos vectoriales. En el proceso de barrido se realiza una segunda medición con igual o mejor precisión de los puntos de lindero. Verificar que el 95% de los puntos levantados poseen discrepancias posicionales inferiores a los valores indicados en la columna CE 95% en las tablas 3 o 4 según corresponda. |
| Fuente de referencia | Especificaciones técnicas de levantamiento planimétrico para las actividades de barrido predial masivo |
5.1.2.3 Resultado cuantitativo
| Nivel de conformidad* | Al menos el 95% de los puntos del conjunto de datos debe cumplir la exactitud posicional |
| Unidad de valor del resultado | % |
| Título de la especificación técnica | Levantamiento Planimétrico Predial |
Cuando los puntos de levantamiento son obtenidos a partir de insumos cartográficos que cumplen el requisito de exactitud posicional absoluta igual o mejor a lo establecido para puntos lindero, y han sido bajo las especificaciones técnicas de la resolución se aplicará la siguiente medida:
5.1.2.1. Medida
| Identificador de la medida | CTO 02 |
| Nombre de la medida | Exactitud absoluta al 95% |
| Alias de la medida | Coeficiente de exactitud posicional |
| Nombre de la medida básica de calidad | No aplica |
| Definición de la medida básica | |
| Tipo de valor | Booleano |
| Nombre del parámetro | No aplica |
| Definición del parámetro | No aplica |
5.1.2.2 Método de evaluación
| Tipo de método de evaluación | Directo externo |
| Descripción del método de evaluación | Se realiza inspección por muestreo aleatorio simple para control de exactitud posicional sobre cada lote entregado así: P01: Conformación de lotes Los puntos lindero que forman la población para un lote bajo inspección presentan las siguientes características conforme con lo establecido previamente en el plan de calidad: - Unidad de insumo cartográfico que garantiza su homogeneidad. - Tienen al mismo umbral de exactitud posicional |
| Tipo de método de evaluación | Directo externo |
| aceptable Inequívocamente identificables. Capturados por el mismo proceso y operación de barrido P02: Selección de la muestra Seleccionar un número superior a 20 puntos lindero cumpliendo con los siguientes requisitos. Se recomienda al menos cinco puntos adicionales en caso de que se presenten restricciones de accesibilidad a los predios para la medición: - Aleatoriedad, mediante procedimientos automatizados. - Representatividad: Todos los puntos de la muestra participan de la selección. - Homogeneidad: Especialmente distribuidos P03: Medición en campo Se realiza la medición y determinación en campo, de las coordenadas horizontales de los puntos de la muestra mediante procedimientos topográficos, garantizando exactitud al menos tres veces superior de aquella definida para el lote bajo inspección. P04: Detectar errores previos y de inconsistencia P05: Se realiza el cálculo de error medio cuadrático por cada componente (RMSEx y RMSEy), aplicando la siguiente fórmula: | |
| Tipo de método de evaluación | Directo externo |
![]() P06: Calcular el RMSEr para la componente planimétrica, según la ecuación: P07: Calcular el coeficiente de exactitud posicional a un 95% de confianza, dependiendo de dos opciones: Si RMSEx = RMSEy, Exactitud =1.7308*RMSEr Si RMSEx /= RMSEy, Exactitud =1.22..85*(RMSEx+RMSEy) P08: Determinación de la conformidad Si el coeficiente de exactitud posicional es inferior al valor de exactitud requerido para el conjunto de datos, según las tablas 3 o 4, la medida cumple | |
| Fuente de referencia | Especificaciones técnicas de levantamiento planimétrico para las actividades de barrido predial masivo |
5.1.2.3 Resultado cuantitativo
| Nivel de conformidad* | Inferior o igual a los valores indicados en procedimiento P08 |
| Unidad de valor del resultado | Numérico |
| Título de la especificación técnica | Levantamiento Planimétrico Predial |
En todo el proceso de verificación ha de tenerse el cuidado suficiente para asegurar la eliminación de equivocaciones en la identificación de los puntos, para lo cual deberá: i) identificar cada uno de los puntos directamente en el sitio en compañía del propietario, poseedor u ocupante, ii) realizar la demarcación correspondiente del lugar de la medición, y iii) realizar registro fotográfico del sitio de medición.
El productor (operador catastral) podrá presentar, en el plan de calidad, propuestas alternativas para el aseguramiento o control de la calidad que permitan garantizar la fiabilidad de las mediciones, lo cual estará sujeto a verificación y aprobación de la correspondiente autoridad catastral.
5.2 Alcance o nivel de medición de la calidad: Instancia de objeto
5.2.1 Nombre: Puntos lindero que no conforman manzana
5.2.2 Elemento de calidad: Exactitud posicional / Relativa o interna
5.2.2.1 Medida
| Identificador de la medida | CTO 03 |
| Nombre de la medida | Exactitud relativa |
| Alias de la medida | NA |
| Nombre de la medida básica de calidad | NA |
| Definición de la medida básica | NA |
| Tipo de valor | Booleano |
| Nombre del parámetro | Tolerancia relativa en distancia |
| Definición del parámetro | La diferencia entre la distancia obtenida a partir de las coordenadas del levantamiento (d) y la distancia correspondiente medida en terreno (D) con relación a la distancia medida debe ser inferior o igual a 1/100. |
5.2.2.2 Método de evaluación
| Tipo de método de evaluación | Directo externo |
| Descripción del método de evaluación | Este control no es requerido cuando el valor de la exactitud posicional absoluta supera a la exactitud posicional relativa. Se aplica directamente durante la medición de distancias entre pares de puntos lindero en predios que no conforman manzana. En el proceso de levantamiento se debe realizar medición de distancias de control, para lo cual se ejecutará muestreo basado en norma ISO 2859-2. La calidad límite define el porcentaje de unidades no conformes en lotes enviados y se usa para seleccionar el tamaño de la muestra n y el número de aceptación Na, en la Tabla A de la norma, en función del tamaño de lote. Lote: Conjunto de predios que conforman una entrega, de acuerdo con lo que establecido en el plan de calidad. P01: Determinación de la muestra El tamaño de la muestra se determina en función de la calidad límite y tamaño de lote que contiene la base de datos así: ![]() P02: Selección de la muestra De manera aleatoria se selecciona el número de unidades de la muestra, espacialmente distribuida y representativa de la totalidad del conjunto de datos. P03: Medición en campo Por cada predio de la muestra se realiza la selección de un par de puntos lindero y se mide en terreno la distancia horizontal (D) P04: Se realiza el cálculo de distancia euclidiana para el mismo par de puntos de la muestra anterior, a partir de las coordenadas de la base de datos (d) P05: Determinar discrepancia relativa para cada par de puntos aplicando lD-dl P07: Conteo de unidades que no cumplen requisito de tolerancia relativa y se califica como defectuosa. Se considera defectuosa la unidad cuyo valor de discrepancia relativa esté por encima de la relación 1/100. P08: Determinación de conformidad. Si el número de unidades defectuosas es menor, o a lo sumo igual, al valor del número de aceptación, el conjunto de datos es conforme. |
| Fuente de referencia | Norma técnica NTC 2859-2, aplicable a los procedimientos P01 y P08 |
5.2.2.3 Resultado cuantitativo
| Nivel de conformidad* | Calidad límite = 12 |
| Unidad de valor del resultado | % |
| Título de la especificación técnica | ET Levantamiento Planimétrico Predial |
5.3 Alcance o nivel de medición de la calidad: Instancia de objeto
5.3.1 Nombre: Frente de lote en manzana
5.3.2 Elemento de calidad: Exactitud posicional / Relativa o interna
5.3.2.1 Medida
| Identificador de la medida | CTO 04 |
| Nombre de la medida | Exactitud relativa en manzana |
| Alias de la medida | Tolerancia relativa |
| Nombre de la medida básica de calidad | NA |
| Definición de la medida básica | NA |
| Tipo de valor | Numérico |
| Nombre del parámetro | No aplica |
| Definición del parámetro | No aplica |
5.3.2.2 Método de evaluación
| Tipo de método de evaluación | Directo externo |
| Descripción del método de evaluación | Este control se aplica a la totalidad de los predios, directamente durante la medición de terrenos en manzanas catastrales regulares dentro del perímetro urbano, sin perjuicio de que eventualmente se encontrasen en el área rural, en cuyo caso debe aplicarse la medida. La medición de linderos, construcciones y longitud de manzana deberá ser expresada con precisión de 0.05m. Procedimiento: P01: Realizar la sumatoria de distancias de frentes de lado de manzana. P02: Realizar la medición de longitud de los lados de manzana LM P03: Obtener el valor absoluto de la diferencia |
| Fuente de referencia | Especificaciones técnicas de levantamiento planimétrico para las actividades de barrido predial masivo |
5.3.2.3 Resultado cuantitativo
| Nivel de conformidad | Menor o igual a 0.1m |
| Unidad de valor del resultado | Numérico |
| Título de la especificación técnica | Anexo Levantamiento Planimétrico Predial |
5.4 Alcance o nivel de medición de la calidad: Tipo de objeto
5.4.1 Nombre: Construcción
5.4.2 Elemento de calidad: Exactitud posicional / Relativa o interna
5.4.2.1 Medida
| Identificador de la medida | CTO 05 |
| Nombre de la medida | Exactitud relativa de construcciones |
| Alias de la medida | Tolerancia relativa |
| Nombre de la medida básica de calidad | NA Definición de la medida básica Indicación de cumplimiento de las reglas de medición de distancias |
| Tipo de valor | numérico |
| Nombre del parámetro | No aplica |
| Definición del parámetro | No aplica |
5.4.2.2 Método de evaluación
| Tipo de método de evaluación | Directo externo |
| Descripción del método de evaluación | La medición controlada se realizará para la totalidad de las construcciones verificando que la diferencia máxima entre dos determinaciones, por ejemplo, dos mediciones (control independiente y efectivo) de distancias con cinta o sumatorias de varias mediciones de distancias es 0,25m rural y 0,10m urbano, equivalente a una desviación estándar de 0,25m y 0,125m, con 95% de confianza. La desviación estándar para todas las diferencias de un lote La desviacion estandar para todas las diferencias de un lote |
| Fuente de referencia | Gestión de calidad en el ámbito catastral (Jenrich, 2016) |
5.4.2.3 Resultado cuantitativo
| Nivel de conformidad* | El 95% de las construcciones del conjunto de datos debe cumplir la precisión. |
| Unidad de valor del resultado | metros |
| Título de la especificación técnica | Levantamiento Planimétrico Predial |
5.5 Alcance o nivel de medición de la calidad: Conjunto de datos
5.5.1 Nombre: Terreno
5.5.2 Elemento de calidad: Totalidad/Omisión
5.5.2.1 Medida
| Identificador de la medida | CTO 06 |
| Nombre de la medida | Porcentaje de predios omitidos |
| Alias de la medida | No aplica |
| Nombre de la medida básica de calidad | Indicador de error |
| Definición de la medida básica | Índice porcentual de predios faltantes /no levantados planimétricamente en el conjunto de datos |
| Tipo de valor | Numérico |
| Nombre del parámetro | No aplica |
| Definición del parámetro | No aplica |
5.4.2.2 Método de evaluación
| Tipo de método de evaluación | Directo externo |
| Descripción del método de evaluación | Esta medida se aplica por cada lote o entrega realizada, de conformidad con lo establecido en el plan de trabajo Pretende establecer el grado de cumplimiento de los predios que deben ser levantados. Procedimiento: P01: Establecer el número de predios que debe ser levantados (PP) como: el número total de predios formales más el número total de predios informales. P02: Establecer el número de predios que no se levantó debido a inaccesibilidad con justificación validada por la respectiva autoridad catastral (PJ) P03: Determinar el número de predios (TP) que debe estar en la base de datos mediante la diferencia PP.. PJ P04: Determinar el porcentaje de predios faltantes como ((TP-PL)/TP) *100 |
| Fuente de referencia | Especificaciones técnicas de levantamiento planimétrico para las actividades de barrido predial masivo |
5.5.2.3. Resultado cuantitativo
| Nivel de conformidad* | 0 |
| Unidad de valor del resultado | % |
| Título de la especificación técnica | Levantamiento Planimétrico Predial |
5.6 Alcance o nivel de medición de la calidad: Atributo
5.6.1 Nombre: Longitud, Área
5.6.2 Elemento de calidad: Exactitud de un atributo cuantitativo
5.6.2.1 Medida
| Identificador de la medida | CTO 07 |
| Nombre de la medida | Exactitud en la determinación de áreas |
| Alias de la medida | No aplica |
| Nombre de la medida básica de calidad | No aplica |
| Definición de la medida básica | Porcentaje de variación del valor calculado de áreas de terrenos, unidades de construcción y construcciones |
| Tipo de valor | Numérico |
| Nombre del parámetro | No aplica |
| Definición del parámetro | No aplica |
5.6.2.2 Método de evaluación
| Tipo de método de evaluación | Directo interno |
| Descripción del método de evaluación | Este control aplica para cada uno de los levantamientos de cada lote entregado, de conformidad con lo establecido en el plan de calidad. P01: Se realiza el cálculo de áreas de los polígonos de terrenos y de construcciones a partir de la información de la base de datos. P02: Se determina el porcentaje de variación como ((AL.. AC)/AL)*100 |
| Fuente de referencia | No aplica |
5.6.2.3 Resultado cuantitativo
| Nivel de conformidad* | 0.01 |
| Unidad de valor del resultado | % |
| Título de la especificación técnica | ET Levantamiento Planimétrico Predial |
5.7 Alcance o nivel de medición de la calidad: Tipo de objeto
5.7.1 Nombre: Unidad de construcción
5.7.2. Elemento de calidad: Totalidad/Comisión
5.7.2.1 Medida
| Identificador de la medida | CTO 08 |
| Nombre de la medida | Índice de unidades de construcción excedentes |
| Alias de la medida | Índice de unidades de construcción sobrantes |
| Nombre de la medida básica de calidad | - |
| Definición de la medida básica | Número de ítem excedentes en el conjunto de datos o muestra con relación al número que debería estar presente |
| Tipo de valor | entero |
| Nombre del parámetro | - |
| Definición del parámetro | - |
5.7.2.2 Método de evaluación
| Tipo de método de evaluación | Directo externo |
| Descripción del método de evaluación | En el proceso de levantamiento se debe realizar inspecciones de control, para lo cual se ejecutará muestreo basado en norma ISO 2859-2, tomando como unidad de muestra las unidades de construcción. Este proceso se realiza para la verificación de otros elementos de calidad externa asociados a la muestra; por ejemplo, formulario predial y calificación de construcciones. La calidad límite define el porcentaje de unidades no conformes en lotes enviados y se usa para seleccionar en la Tabla A de la norma NTC 2859-2, el tamaño de la muestra n y el número de aceptación NA, en función del tamaño de lote. El lote está conformado por el conjunto de predios de una entrega, de acuerdo con lo establecido en el plan de calidad. P01: Determinación de la muestra El tamaño de la muestra se determina en función de la calidad límite (12) y tamaño de lote que contiene la base de datos así: ![]() P02: Selección de la muestra De manera aleatoria se selecciona de la base de datos un conjunto de predios, según el tamaño de la muestra. Se debe garantizar que la muestra es espacialmente distribuida y representativa de la totalidad del conjunto de datos. P03: Revisión en campo Se realiza la verificación de unidades constructivas en los predios de la muestra. P04: Conteo de unidades excedentes Conteo de unidades que no deberían estar en la base de datos P05: Determinación de conformidad Si el número de unidades excedentes es menor, o a lo sumo igual, al valor del número de aceptación, el lote es conforme. |
| Fuente de referencia | ISO 19157, NTC-ISO 2859-2 |
5.7.2.3 Resultado cuantitativo
| Nivel de conformidad* | Calidad límite = 12 |
| Unidad de valor del resultado | % |
| Título de la especificación técnica | ET Levantamiento Planimétrico Predial |
5.8 Alcance o nivel de medición de la calidad: Tipo de objeto
5.8.1 Nombre: Unidad de construcción
5.8.2 Elemento de calidad: Totalidad/Omisión
5.8.2.1 Medida
| Identificador de la medida | CTO 09 |
| Nombre de la medida | Índice de unidades de construcción omitidos |
| Alias de la medida | Índice de unidades de construcción faltantes |
| Nombre de la medida básica de calidad | NA |
| Definición de la medida básica | Número de ítem faltantes en el conjunto de datos o muestra con relación al número que debería estar presente |
| Tipo de valor | Entero |
| Nombre del parámetro | - |
| Definición del parámetro | - |
5.8.2.2 Método de evaluación
| Tipo de método de evaluación | Directo externo |
| Descripción del método de evaluación | En el proceso de levantamiento se debe realizar inspecciones de control, para lo cual se ejecutará muestreo basado en la norma ISO 2859-2, tomando como unidad de muestra las unidades de construcción. Este proceso se realiza para la verificación de otros elementos de calidad externa asociados a la muestra; por ejemplo, formulario predial y calificación de construcciones. La calidad límite define el porcentaje de unidades no conformes en lotes enviados y se usa para seleccionar en la Tabla A de la norma NTC 2859-2 el tamaño de la muestra n y el número de aceptación NA, en función del tamaño de lote. El lote está conformado por el conjunto de predios de una entrega, de acuerdo con lo establecido en el plan de calidad. P01: Determinación de la muestra El tamaño de la muestra se determina en función de la calidad límite (12) y tamaño de lote (número de unidades de construcción) que contiene la base de datos así: ![]() P02: Selección de la muestra De manera aleatoria se selecciona de la base de datos un conjunto de predios que contenga el número de unidades de construcción requeridos según el tamaño de la muestra. Se debe garantizar que la muestra es espacialmente distribuida y representativa de la totalidad del conjunto de datos. P03: Revisión en campo Se realiza la verificación de unidades constructivas en los predios de la muestra. P05: Conteo de unidades omitidos Conteo de unidades que no están presentes y deberían estar P06: Determinación de conformidad Si el número de unidades excedentes es menor, o a lo sumo igual, al valor del número de aceptación, el lote es conforme |
| Fuente de referencia | Especificaciones técnicas de levantamiento planimétrico para las actividades de barrido predial masivo |
5.8.2.3 Resultado cuantitativo
| Nivel de conformidad* | Calidad límite = 12 |
| Unidad de valor del resultado | % |
| Título de la especificación técnica | ET Levantamiento >Planimétrico Predial |
5.9 Alcance o nivel de medición de la calidad: Tipo de objeto
5.9.1 Nombre: Servidumbre de paso
5.9.2 Elemento/Subelemento de calidad: Totalidad/Omisión
5.9.2.1 Medida
| Identificador de la medida | CTO 10 |
| Nombre de la medida | Índice de servidumbres omitidas |
| Alias de la medida | Índice de servidumbres faltantes |
| Nombre de la medida básica de calidad | - |
| Definición de la medida básica | Número de ítem excedentes en el conjunto de datos o muestra con relación al número que debería estar presente |
| Tipo de valor | Numérico |
| Nombre del parámetro | No aplica |
| Definición del parámetro | No aplica |
5.9.2.2 Método de evaluación
| Tipo de método de evaluación | Directo externo |
| Descripción del método de evaluación | Consiste en la verificación de que todas las servidumbres han sido levantadas en el conjunto de datos. Este conjunto corresponde a los predios de cada una de las entregas de acuerdo con lo establecido en el plan de calidad Procedimiento: P01: Determinar el número de servidumbres que deberían estar presentes en la base de datos (conjunto de datos de la entrega). ST Establecer las fuentes para identificación de servidumbres. - Cartografía básica. - Ortoimágenes. - Registro IIPP. - Escritura pública. - Inspección en terreno P02: Realizar el conteo de servidumbres que hay presentes en la base de datos SB P03: Determinar el porcentaje de servidumbres faltantes como ((ST-SB)/SB)*100 Durante la operación se debe generar los registros de las actividades de inspección para la detección de omisiones. |
| Fuente de referencia | Especificaciones técnicas de levantamiento planimétrico para las actividades de barrido predial masivo |
5.9.2.3 Resultado cuantitativo
| Nivel de conformidad* | 0 |
| Unidad de valor del resultado | % |
| Título de la especificación técnica | ET Levantamiento planimétrico predial |
5.10. Alcance o nivel de medición de la calidad: Tipo de objeto
5.10.1 Nombre: Lindero
5.10.2 Elemento: Consistencia lógica/Conceptual
5.10.2.1 Medida
| Identificador de la medida | CTO 11 |
| Nombre de la medida | Cumplimiento con el modelo conceptual |
| Alias de la medida | Cumplimiento de las reglas de elaboración del croquis |
| Nombre de la medida básica de calidad | - |
| Definición de la medida básica | - |
| Tipo de valor | Booleano (Verdadero indica que existe acta o informe de colindancia, falso indica que no coincide) |
| Nombre del parámetro | No aplica |
| Definición del parámetro | No aplica |
5.10.2.2 Método de evaluación
| Tipo de método de evaluación | Directo externo |
| Descripción del método de evaluación | El croquis debe ser elaborado para cada predio de acuerdo con lo establecido en el Anexo 18: Especificación Técnica Croquis. La inspección se realiza para la totalidad de los predios. Aplicando una lista de chequeo se verifica el cumplimiento de cada una de las reglas establecidas para elaboración del croquis. Se aplica el procedimiento definido en el numeral 7.3 del Anexo 18 |
| Fuente de referencia | Especificaciones técnicas de levantamiento planimétrico para las actividades de barrido predial masivo |
5.10.2.3 Resultado cuantitativo
| Nivel de conformidad* | Verdadero |
| Unidad de valor del resultado | No aplica |
| Título de la especificación técnica | Anexo: Especificación técnica croquis |
5.11 Alcance o nivel de medición de la calidad: Conjunto de datos
5.11.1 Nombre: Base de datos
5.11.2 Elemento: Consistencia lógica/Conceptual
5.11.2.1 Medida
| Identificador de la medida | CTO 12 |
| Nombre de la medida | Cumplimiento con el modelo conceptual |
| Alias de la medida | - |
| Nombre de la medida básica de calidad | Indicador de corrección |
| Definición de la medida básica | Indicación de que un ítem cumple con las reglas del esquema conceptual correspondiente |
| Tipo de valor | Booleano (Verdadero indica que los linderos coinciden con la definición del acta de colindancia, Falso indica que no coincide) |
| Nombre del parámetro | - |
| Definición del parámetro | - |
5.11.2.2 Método de evaluación
| Tipo de método de evaluación | Directo interno |
| Descripción del método de evaluación | Haciendo uso del software UML-INTERLIS-Editor, que crea un archivo de intercambio (.ili) que contiene la sintaxis del modelo extendido o perfil LADM-COL en conjunto con los modelos de referencia o núcleo, se realiza una validación interna de su sintaxis. Posteriormente, se emplea un archivo auxiliar para la creación de la base de datos en un SMBD, (PostGIS, Oracle,) que facilita la generación del modelo físico (vacío o poblado). A continuación, en un ambiente GIS, se emplea un plug-in que con la conexión a la base de datos me permite editarlos, en base al modelo utilizado (Perfil LADM-COL) Finalmente, se hace uso de la herramiento "ili validator", dispuesta en el geoportal o recurso web de la autoridad, que evalúa la integridad de los datos de acuerdo con las condiciones del modelo de base de datos. La información solo podrá ser visualizada en la herramienta o recurso web si cumple con todas las condiciones del modelo |
| Fuente de referencia | Perfil LADM-COL v.2.2 |
5.11.2.3 Resultado cuantitativo
| Nivel de conformidad* | Verdadero |
| Unidad de valor del resultado | No aplica |
| Título de la especificación técnica | Anexo 11. Modelo LADMCOL Versión 2.2 |
6. Captura de los datos
6.1 Alcance.
Comprende los métodos y procesos para la realización del levantamiento planimétrico predial para un conjunto de predios por barrido predial masivo para una jurisdicción territorial.
6.2 Declaración del proceso de captura de los datos
El levantamiento de las coordenadas de los puntos que conforman el lindero, las construcciones y servidumbres, implica el reconocimiento y clara identificación en el terreno, con la interpretación de los documentos y acompañamiento directamente por el interesado (propietario o poseedor).
El levantamiento planimétrico predial puede ser ejecutado por métodos directos o indirectos, siempre que se cumpla la totalidad de los requisitos definidos en la presente especificación y la conformidad con el modelo LADM-COL, Versión 2.2.
Los productos cartográficos pueden constituir un insumo para la determinación de las coordenadas de puntos lindero y punto levantamiento, cuando estos son inequívocamente identificables y se cumpla la exactitud posicional definida en la presente especificación. Los productos cartográficos que sean utilizados para la determinación de las coordenadas deben cumplir las especificaciones técnicas definidas bajo la Resolución 1392 de 2016: Especificaciones Técnicas de Cartografía, del Instituto Geográfico Agustín Codazzi (IGAC).
La determinación de coordenadas por métodos GNSS y estación fotogramétrica debe apoyarse en la red geodésica MAGNA-SIRGAS o en otras redes que guarden compatibilidad en el sistema de referencia, previa validación por el IGAC, y su densificación debe garantizar la obtención de las exactitudes exigidas. En caso de no cumplir este requisito, se deberá realizar una red de apoyo, cuyo diseño deberá ser previamente validado por el IGAC.
El aseguramiento y los controles de calidad son parte del proceso de producción y deben estar debidamente incluidos en el plan de calidad y la ejecución del operador a cargo del barrido predial masivo.
7. Mantenimiento
No definido
8. Representación
8.1 Catálogo de representación croquis
En el momento de realizar el levantamiento planimétrico predial se debe elaborar un croquis que permita evidenciar la trazabilidad del trabajo de campo, de tal manera que su contenido sea autosuficiente para permitir la reconstrucción e interpretación inequívoca de lo encontrado en el momento del levantamiento, así como las decisiones tomadas por quien lo realizó. Se debe cumplir como mínimo lo estipulado en el anexo 18 de la Conceptualización y Especificaciones para la Operación del Catastro Multipropósito V.2.1.1, especificación técnica para la representación del croquis (debe ser claro, legible y debe ser entregado en medio digital o análogo).
8.2 Representación de predios
En el catálogo de representación de objetos se establece la simbología de los objetos catastrales, la cual deberá realizarse de acuerdo con lo establecido para cada escala, según el documento "Catalogo de representacionde catastro" adoptado por el IGAC, y con ello definir claramente el servicio que se disponga de representación.
9. Distribución del producto de datos
9.1 Formato de distribución
El formato a utilizar para la presentación de los datos es digital
9.1.1 Nombre del formato de datos
No definido
9.1.2 Estructura del formato de distribución
No definido
9.1.3 Idioma
El idioma es el cual se distribuirán los datos es español
9.2 Medio de distribución
9.2.1 Descripción de las unidades de distribución
Megabyte
9.2.2 Nombre del medio de datos
En línea
10. Metadatos
Se deberá generar metadato para el conjunto de datos, conforme con la Norma Técnica Colombiana NTC 4611, segunda actualización.
NOTAS AL FINAL:
1. http://www.icde.org.co/sites/default/files/Gu%C3%ADa_Especificaciones_T%C3%A9cnicas_V.0.4.pdf
2. La exactitud posicionale relativa es "la proximidad de las posiciones relativas de los objetos geograficos de un conjunto de datos a sus respectivas posiciones relativas verdaderas o aceptadas como tales"(ISO 19157)"
Especificamente se refiere a la variacion entre puntos que puede presentarse como resultado de la tolerancia en la exactitud absoluta.
3. http://www.icde.org.co/sites/default/files/Gu%C3%ADa_Plan_Calidad_V.1.1.pdf
ESPECIFICACIONES TÉCNICAS PARA LEVANTAMIENTO TOPOGRÁFICO O PLANIMÉTRICO PREDIAL, EN EL MARCO DE LOS REQUERIMIENTOS DE LA LEY 1682 DE 2013, LA RESOLUCIÓN 193 DE 2014 Y LA RESOLUCIÓN CONJUNTA 1732 (SNR) Y 221 (IGAC) DE 2018 -CASOS PUNTUALES.
1. ANTECEDENTES Y CONTEXTO.
2. ALCANCE
3. REQUISITOS PROCEDIMENTALES
4. DEFINICIONES
5. ABREVIATURAS
6. EQUIPOS.
7. SISTEMA DE REFERENCIA.
8. PUNTOS TOPOGRÁFICOS BASE.
8.1. PUNTOS TOPOGRÁFICOS BASE A PARTIR DE EQUIPOS GNSS.
8.2. PUNTOS TOPOGRÁFICOS BASE A PARTIR DE EQUIPOS ÓPTICOS.
9. PUNTOS DE LEVANTAMIENTO.
9.1. PUNTOS DE LEVANTAMIENTO A PARTIR DE EQUIPOS GNSS.
9.1.1. ESTÁTICO RÁPIDO DIFERENCIAL
9.1.2. CINEMÁTICO.
9.1.3. CINEMÁTICO EN TIEMPO REAL.
9.1.4. CÁLCULO GNSS.
9.2. PUNTOS DE LEVANTAMIENTO A PARTIR DE MÉTODOS ÓPTICOS.
9.2.1. POLIGONALES
9.2.2. ERRORES DE LA POLIGONAL.
9.2.3. PRECISIÓN DE LA POLIGONAL.
9.3. MEDICIONES CON CINTA MÉTRICA
10. MEDICIÓN CONTROLADA
11. PLANO PREDIAL.
12. ENTREGABLES
13. ANEXOS.
13.1. ANEXO A. DESCRIPCION DE PUNTO TOPOGRÁFICO BASE.
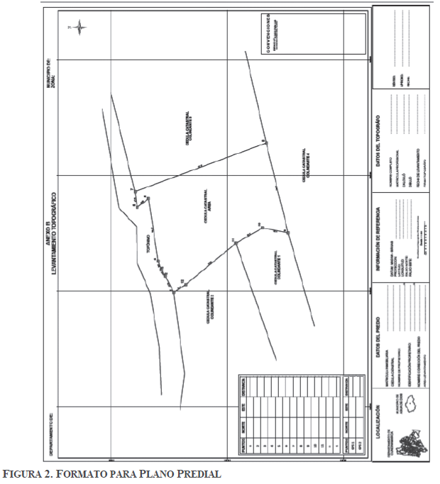
13.2. ANEXO B. PLANO PREDIAL.
13.3. ANEXO C. DESCRIPCIÓN DE PUNTO GEODÉSICO.
13.4. ANEXO D. HOJA DE CAMPO PARA OBSERVACIONES GNSS.
13.5. ANEXO E. CARTERA DE CAMPO PARA LEVANTAMIENTOS TOPOGRAFICOS POR METODOS GNSS
13.6. ANEXO F. CARTERA DE CAMPO PARA LEVANTAMIENTOS TOPOGRAFICOS POR METODOS ÓPTICOS.
14. REFERENCIAS.
1. ANTECEDENTES Y CONTEXTO.
El articulo 26 de la Ley 1682 de 2013, "Por el cual se adoptan medidas y disposiciones para los "proyectos de infraestructura de transporte y se conceben facultades extraordinarias", establecio la solicitud y el trámite de actualización de cabida y linderos respecto de los inmuebles requeridos en dichos proyectos, cuando sea necesario.
El citado artículo determinó que sería el Instituto Geográfico Agustín Codazzi (IGAC) el responsable de determinar el procedimiento para el trámite de actualización de cabida y linderos. En este sentido, se expidio la Resolucion 193 de 2014, "Por la cual se establece el procedimiento para desarrollar el trámite de actualización de cabida y/o linderos de que trata el artículo 26 de la Ley 1682 de 2013".
Al referirse a los anexos de la solicitud de actualización de cabida y linderos, la Resolución 193 de 2014 en su artículo primero, numeral 2, literal ii, alude a la copia del levantamiento planimétrico o topográfico del predio, elaborado con base en los parámetros y estándares fijados mediante la Circular 161 de 2014.
El IGAC y la Superintendencia de Notariado y Registro (SNR) expidieron la Resolución conjunta 1732 (SNR) y 221 (IGAC) del 21 de febrero de 2018,..Por medio de la cual se establecen lineamientos y procedimientos para la corrección o aclaración, actualización, rectificación de linderos y área, modificacion fisica e inclusionde area de bienes inmuebles".
En general, para el desarrollo de los trámites a los que alude la mencionada Resolución conjunta es necesario contar con el levantamiento planimétrico o topográfico del bien inmueble, que debe incluir la descripción técnica de los linderos y la precisión del área, de acuerdo con las especificaciones técnicas definidas por la máxima autoridad catastral. Levantamiento que revisará y validará la autoridad catastral competente, sin perjuicio de su responsabilidad en los levantamientos que le corresponda realizar en desarrollo de los procesos de formación, actualización y conservación catastral.
Con el fin de responder desde la perspectiva técnica a los requerimientos que demanda la Ley 1682 de 2013, la Resolución 193 de 2014 y la Resolución conjunta 1732 (SNR) y 221 (IGAC) de 2018, se hace necesario actualizar la Circular 161 de 2014.
2. ALCANCE
A través del presente documento, se adoptan las especificaciones técnicas para la elaboración de levantamientos topográficos o planimétricos prediales, aplicables a la actualización de cabida y linderos de la Ley 1682 de 2013 y la Resolución 193 de 2014, y a los procedimientos de la Resolución conjunta 1732 (SNR) y 221 (IGAC) de 2018, respecto de solicitudes de parte o intervenciones puntuales oficiosas de la autoridad catastral competente, por el proceso de conservación. En consecuencia, queda sin efectos la Circular IGAC 161 de 2014.
Cuando el levantamiento incluya el componente de altimetría para la descripción del relieve y los objetos que definen los linderos, se estará haciendo alusión a levantamiento topográfico. En cualquiera de los casos, levantamiento topográfico o planimétrico, deberá cumplirse los requisitos descritos en esta especificación.
Para los procedimientos de la citada Resolución conjunta, que se adelanten oficiosamente por la respectiva autoridad catastral en procesos masivos como los de formación o actualización catastral, se aplicarán las especificaciones técnicas del levantamiento planimétrico para el barrido predial masivo, definidas para implementación del catastro multipropósito y para los fines de ordenamiento social de la propiedad por oferta o seguridad jurídica.
3. REQUISITOS PROCEDIMENTALES
El levantamiento topográfico o planimétrico predial se constituye, en general, como el insumo/requisito básico para adelantar los trámites correspondientes a corrección o aclaración, actualización, rectificación de linderos y área, y modificación física de bienes inmuebles, de la Resolución conjunta SNR e IGAC, y para el trámite de actualización de cabida y linderos respecto de los inmuebles requeridos en los proyectos de infraestructura de transporte, cuando sea necesario.
El levantamiento topográfico o planimétrico predial deberá partir y considerar la información de cabida y linderos contenida en los títulos o demás actos inscritos en el registro de instrumentos públicos (escrituras públicas, actos administrativos, sentencias, etc.), con el fin de determinar, entre otros aspectos, cuál es el caso o procedimiento aplicable y proceder de conformidad en las actividades de oficina y campo propias del levantamiento, con la comparecencia de los actores interesados, propietarios de los predios y colindantes de los mismos, también propietarios, según corresponda.
Sin perjuicio de lo anterior, para el levantamiento topográfico o planimétrico predial también deberá consultarse información de apoyo como la siguiente: puntos geodésicos, insumos cartográficos como ortofotos, cartografía básica e información catastral, gráfica y alfanumérica, la cual puede descargarse en el siguiente enlace: http://datos.igac.gov.co/pages/catastro*
4. DEFINICIONES
| Cabida | Extensión de superficie de un predio. Área planimétrica. |
| Colindante | Son los bienes inmuebles que comparten al menos un lindero con otro inmueble |
| Coordenadas | Cantidades lineales o angulares que designan la posición de un punto con relación a un marco de referencia NTC 4611 |
| Coordenadas cartesianas locales | Sistema de coordenadas planas definidas sobre una proyección cartesiana local |
| Coordenadas Gauss-Krüger | Sistema de coordenadas planas definidas sobre la proyección oficial de Colombia, Gauss Krüger |
| Coordenadas geográficas | Sistema de coordenadas curvilíneas definidas sobre el elipsoide de referencia. Se expresan como latitud (..) y longitud (..), medidas como distancias angulares desde el meridiano origen y el ecuador respectivamente |
| Coordenadas planas | Conjunto de valores longitudinales que permiten definir la posición de cualquier punto en un sistema de referencia plano, sobre los ejes perpendiculares X (Norte) y Y (Este), expresados en metros |
| Crudos | Datos capturados por un equipo a los cuales no se ha aplicado tratamiento. El formato es específico del fabricante. |
| Datum | Descripción matemática de la posición del origen, la escala y la orientación de los ejes de un sistema de coordenadas |
| Delta de la poligonal | Punto que se marca provisionalmente para establecer la posición de un instrumento de topografía en un nuevo punto de referencia. Son las estaciones de la poligonal, en donde ocurren cambios de dirección |
| Escala | Relación de proporcionalidad que existe entre la magnitud representada sobre una ortofoto, carta geográfica, mapa u otro modelo cartográfico y su magnitud real en el terreno |
| Estación permanente MAGNA ECO | Cada una de las estaciones que hacen parte de la red de Estaciones Continuas del IGAC. Compuesta de un punto materializado, un receptor de posicionamiento satelital de doble frecuencia y un sistema de transmisión de datos que operan permanentemente. |
| Exactitud | Grado de concordancia entre el resultado de un ensayo o una medición y el valor verdadero. ISO 19157:2013 |
| Exactitud posicional | Describe la cercanía en posición de los objetos en el conjunto de datos, con respecto a sus posiciones verdaderas (o las asumidas como verdaderas). |
| DOP | Dilución de la precisión, valor adimensional que describe la disposición de la geometría de la figura formada por el receptor y los satélites. |
| GNSS | Sistema global de navegación por satélite, que permite a receptores en tierra, mar o aire, obtener las coordenadas del sitio donde se encuentra ubicado |
| GPS | Es uno de los sistemas GNSS basado en la radio navegación por satélite que proporciona información precisa tridimensional de posición, navegación y tiempo a los usuarios. El sistema está continuamente disponible a nivel mundial |
| Levantamiento planimétrico predial | Conjunto de operaciones ejecutadas sobre el terreno con los instrumentos adecuados, para representar el bien inmueble en un plano horizontal, sobre el cual se proyectan los linderos y construcción. |
| Levantamiento topográfico | Conjunto de operaciones ejecutadas sobre el terreno con los instrumentos adecuados, para representar sobre un plano los rasgos característicos naturales y antrópicos de la superficie terrestre. En este levantamiento se determinan las coordenadas rectangulares y altura sobre un plano de referencia de los puntos del terreno, ya sea directamente o mediante un proceso de cálculo. |
| Lindero | Línea de división que separa un bien inmueble de otro. |
| MAGNA-SIRGAS | Marco Geocéntrico Nacional de Referencia. Es la densificación de SIRGAS, y por tanto del ITRF en Colombia. Está compuesto por un conjunto de estaciones con coordenadas geocéntricas (X, Y, Z) de alta precisión y cuyas velocidades (VX,VY,VZ) cambio de las coordenadas con respecto al tiempo) son conocidas. Dichas estaciones conforman la materialización del sistema de referencia global para Colombia, y sus coordenadas están dadas en SIRGAS o ITRF. Está constituida por estaciones pasivas y de funcionamiento continuo. |
| Marco de referencia | La materialización de un Sistema de Referencia. Este Sistema se materializa a partir de la construcción, la medición y el posterior cálculo de las coordenadas de una serie de puntos o pilares localizados sobre la superficie terrestre. Dichos puntos conforman una Red Geodésica |
| M0 | Es el resultado de la matriz varianza-covarianza. |
| Origen plano cartesiano | Conjunto de parámetros que definen el origen de una proyección cartesiana local. |
| Precisión | Medida de repetitividad de un conjunto de medidas (ISIO TC/211). La precisión está dada por el valor de la desviación estándar calculada para las diferentes medidas a un valor central y depende de la sensibilidad del equipo empleado y la habilidad del observador. |
| Precisión horizontal del punto | Semiejes de una elipse de incertidumbre, de tal manera que la localización horizontal verdadera o teórica del punto cae dentro de esta elipse el 95 % de las veces. |
| Predio | Unidad espacial de terreno con o sin construcciones, perteneciente a personas naturales o jurídicas, públicas o privadas, que está sujeto a derechos y responsabilidades, y sobre el cual pueden recaer restricciones. El predio no pierde su unidad por estar atravesado por bienes de uso público como vías y superficies de agua. |
| Punto | Primitivo geométrico sin dimensiones. NTC 4611 |
| Punto auxiliar | Punto generado a partir de los deltas de la poligonal o desde un punto topográfico base, empleado para radiar puntos de lindero o de detalle en levantamientos topográficos o planimetricos prediales por métodos ópticos |
| Punto geodésico | Punto materializado mediante incrustación, mojón o pilastra, vinculado a la red MAGNA SIRGAS con mediciones asociadas de los tres componentes (horizontal, vertical y/o gravimétrico) |
| Punto lindero | Punto que define el lindero de un predio. La sucesión de estos puntos forma una línea que representa el límite entre dos predios. |
| Punto topográfico | Punto materializado mediante mojón, estaca o marca sobre elemento o superficie estable, con mediciones asociadas de los dos componentes (horizontal y vertical), vinculado a la red MAGNA SIRGAS |
| Punto topográfico base | Punto materializado mediante mojón, estaca o marca sobre elemento o superficie estable, con mediciones asociadas de los dos componentes (horizontal y vertical), vinculado a la red MAGNA SIRGAS, del cual parte el levantamiento topográfico o planimétrico |
| Sistema de referencia | Superficie definida matemática o físicamente, o a través de una red de puntos de control existente, a la cual se refieren coordenadas horizontales, alturas o valores de potencial de gravedad |
| Topografía | Representación gráfica de la superficie terrestre, con sus formas y detalles, tanto naturales como artificiales. Incluye altimetría y planimetría |
5. ABREVIATURAS
DXF: Drawing Exchange Format
GNSS: Sistema Global de Navegación Satelital
GLONASS: Sistema Orbital Mundial de Navegación por Satélite (Global Orbiting Navigation Satellite System).
GPS: Sistema de Posicionamiento Global (Global Positioning System).
DOP: Dilución de Precisión (Dilution of Precision).
ICONTEC: Instituto Colombiano de Normas Técnicas y Certificación
IGAC: Instituto Geográfico Agustín Codazzi
ISO: Organización Internacional de Normalización (International Organization for Standardization).
MAGNA: Marco Geocéntrico Nacional de Referencia
NOAA: Administración Nacional Oceánica y Atmosférica (National Oceanic and Atmospheric Administration)
RTK: Navegación Cinética Satelital en Tiempo Real (Real Time Kinematic).
SIRGAS: Sistema de Referencia Geocéntrico para Las Américas.
6. EQUIPOS
Los equipos GNSS deben contar con registro NOAA para su corrección, que permitan configuración para grabar épocas hasta el segundo.
Los equipos ópticos tales como tránsitos, teodolitos y estaciones totales, deben contar con certificado de calibración vigente, no mayor a seis (6) meses, expedido por un laboratorio certificado por ICONTEC.
7. SISTEMA DE REFERENCIA
Todos los levantamientos topográficos o planimétricos deben expresarse en el Sistema Internacional de Unidades (SI). Deben estar referidos al datum MAGNA-SIRGAS, según lo adoptado para Colombia y la época de referencia vigente, establecida por el IGAC.
Los levantamientos deben estar ligados a coordenadas de las estaciones permanentes MAGNA ECO o punto geodésico de la red pasiva del IGAC, quien suministra la información a través de la página oficial del IGAC.
Los puntos topográficos base y los puntos de levantamiento, deben expresarse en coordenadas geográficas, coordenadas Gauss-Krüger y coordenadas cartesianas locales, indicando el origen plano cartesiano correspondiente. Si el predio se encuentra a una distancia mayor de 20 kilómetros del origen plano cartesiano existente certificado y publicado por el IGAC, se debe generar un origen específico para el levantamiento topográfico o planimétrico y en el informe técnico, relacionar sus parámetros de creación.
El área predial se debe calcular a partir de las coordenadas planas cartesianas al nivel medio del terreno y se debe expresar en letras y números, con aproximación a la segunda posición decimal (por ejemplo 100 Ha + 3786,52 m2= Cien hectáreas tres mil setecientos ochenta y seis coma cincuenta y dos metros cuadrados).
8. PUNTOS TOPOGRÁFICOS BASE
8.1. PUNTOS TOPOGRÁFICOS BASE A PARTIR DE EQUIPOS GNSS
Los puntos topográficos base para el levantamiento deben ser georreferenciados mediante el posicionamiento con equipos GNSS de frecuencia sencilla comúnmente conocidos como L1 o equipos GNSS de doble frecuencia denominados L1/L2. Se debe emplear el método estático diferencial, a partir de dos puntos geodésicos de la red pasiva, o dos estaciones permanentes de la Red MAGNA-ECO, o una combinación de ambas, en todos los casos debe ser de manera simultánea. Se recomienda que el posicionamiento se realice con los parámetros de rastreo GNSS, como horizonte despejado, máscara de elevación y DOP.
Se debe tener en cuenta el tiempo de rastreo, que depende de la distancia existente entre la estación de la red MAGNA-ECO o bien de la red pasiva del IGAC y el punto topográfico base a posicionar, así:
- Para distancias menores a ochenta (80) kilómetros, con equipos de doble frecuencia L1/L2 se debe aplicar la siguiente fórmula:
![]()
Donde:
t = Tiempo de rastreo
d = Distancia en kilómetros.
- Para posicionamientos que se efectúen con equipos de frecuencia sencilla L1, se debe duplicar el tiempo de rastreo resultantes de las anteriores fórmulas, así:
![]()
Deben evitarse los rastreos con distancias mayores a ochenta (80) Km entre el punto geodésico y el punto topográfico base. En caso de presentarse necesariamente esta condición, pueden trasladarse coordenadas o ampliar el tiempo de rastreo, hasta cumplir con la especificación.
NOTA: Los tiempos de rastreo mencionados en las anteriores formulas, aplican para condiciones ideales tales como horizonte despejado, máscara de elevación y DOP adecuadas.
El punto topográfico base debe tener una breve descripción, según Anexo A. Descripción de Punto Topográfico Base.
8.2. PUNTOS TOPOGRÁFICOS BASE A PARTIR DE EQUIPOS ÓPTICOS
Los puntos topográficos base pueden ser obtenidos con equipos ópticos, realizando un traslado de coordenadas, a partir de dos puntos geodésicos de la red pasiva, si la distancia entre ellos es menor de 4 Km. En este caso, se deben realizar poligonales cerradas de amarre (Ver Numeral 9.2), donde los puntos deltas de la poligonal son considerados puntos topográficos, ya que deben cumplir con precisiones de cierre no inferiores a 1:15.000.
9. PUNTOS DE LEVANTAMIENTO
Los puntos de levantamiento son aquellos tomados sobre los puntos de lindero, así como aquellos tomados en construcciones, sobre el terreno y los detalles considerados relevantes. Se debe implementar la medición controlada para los puntos de lindero según Numeral 10 de esta especificación, para lo cual los puntos de lindero se deben señalizar y ubicar en cambios de colindancia y en cambios de dirección asegurando la fidelidad de la forma del predio.
9.1.PUNTOS DE LEVANTAMIENTO A PARTIR DE EQUIPOS GNSS
9.1.1. ESTÁTICO RÁPIDO DIFERENCIAL
El tiempo de duración de las sesiones con equipos de doble frecuencia es de cinco (5) minutos de medición diferencial para líneas de hasta 6 Km. Para distancias mayores de 6 Km se debe aumentar dos (2) minutos por cada kilómetro adicional. Deben evitarse los rastreos con distancias mayores a 10 Km. Es importante preservar condiciones ideales tales como horizonte despejado, máscara de elevación y DOP adecuadas.
Dando cumplimiento con la especificación se muestra la siguiente tabla:

9.1.2. CINEMÁTICO
Se define como un método de posicionamiento de fase continua que requiere solo periodos muy cortos de captura de datos. Con este método no se determinan puntos, sino que se determinan recorridos del receptor móvil, es necesario tener en cuenta que durante su recorrido no puede haber perdida de la ambigüedad calculada inicialmente, es decir, no se debe perder la señal de un mínimo de cuatro satélites.
9.1.3. CINEMÁTICO EN TIEMPO REAL
Se deben materializar dos (2) puntos topográficos base, cercanos entre sí, conservando las especificaciones del numeral 8 "Puntos Topograficos Base", de los cuales uno se empleará como referencia para la corrección diferencial en tiempo real y el otro, para chequeo al inicio y al final del levantamiento topográfico o planimétrico. En caso de emplear para la obtención de puntos de levantamiento otras tecnologías de corrección diferencial en tiempo real, transmitidos a los receptores vía satelital o por protocolos de internet, es esencial relacionar las especificaciones técnicas de los equipos utilizados.
9.1.4. CÁLCULO GNSS
La precisión horizontal y vertical de la medición debe estar de acuerdo a las especificaciones técnicas del equipo y método utilizado.
El procesamiento de los puntos rastreados en campo se debe realizar mínimo bajo los siguientes parámetros:
- El software utilizado debe estar configurado en el sistema de coordenadas WGS 84.
- El huso horario correspondiente a Colombia (-5 hrs).
- Se debe evidenciar la carga de los valores de calibración de antenas provistos por la National Geodetic Survey (NGS).
- Se debe evidenciar la carga de efemérides precisas provistas por la IGS (IGU, IGR, IGS) para el procesamiento de los datos.
- Utilizar las coordenadas semanales del marco de referencia SIRGAS. En caso de que no estén disponibles las de la semana de rastreo para la fecha del cálculo, se debe trabajar con las más cercanas a esta.
- Para el procesamiento utilizar datos GPS/GLONASS.
- Los modelos Troposféricos e Ionosféricos utilizados en el procesamiento, deben ser los más adecuados para la zona de rastreo.
- Se le deben dar al menos dos soluciones a cada punto con respecto a las estaciones de la red Magna Eco, teniendo en cuenta que, si están a menos de 80 Km, deben resolver ambigüedades.
- En los resultados por vector de cada punto, se debe verificar que:
- El valor de M0 sea menor a 1.
- El valor del GDOP sea menor a 8 o su equivalente, según la especificación técnica del equipo con que se realice el levantamiento.
- La máscara de elevación debe estar en un rango de 5°-25°.
- Las desviaciones estándar en cada componente Desv.Est.x, Desv.Est.y, Desv.Est.z menor a 1cm.
El promedio ponderado resultado en el cálculo de coordenadas mediante el procedimiento mencionado es de máximo 0.075 m en posición horizontal y vertical.
9.2. PUNTOS DE LEVANTAMIENTO A PARTIR DE MÉTODOS ÓPTICOS
9.2.1. POLIGONALES
Se debe utilizar una poligonal cuando desde los puntos topográficos no se alcanza a radiar todos los puntos de levantamiento. Se deben trasladar las coordenadas desde los puntos topográficos a los deltas que conforman la poligonal. Pueden emplearse puntos auxiliares en caso que desde los deltas de la poligonal o del punto topográfico base no sea posible radiar los puntos de lindero o de detalle.
9.2.2. ERRORES DE LA POLIGONAL.
Error Angular Máximo Permisible
![]()
Errores de Cierre Angular
El error cierre angular permitido en una poligonal debe ser menor al valor dado por la fórmula:
![]()
Donde n es igual al número de lados o ángulos en el polígono.
El error de cierre angular para una poligonal cerrada es la diferencia entre la suma teórica de ángulos y la suma geométrica de los resultantes de campo.
- Error de Cierre Lineal El error de cierre lineal de una poligonal cerrada corresponde al cálculo del error existente en las proyecciones.

Donde:
e.c.l: Error de Cierre Lineal
e.c.p: Error de Cierre En Proyección
9.2.3. PRECISIÓN DE LA POLIGONAL
La precisión de las poligonales cerradas se determina a partir del área el predio, como lo indica la siguiente tabla:
| ÁREA | PRECISIÓN |
| Menor a 1.000 m2 | 1:20.000 |
| 1.000 m2 y menor a 1 Ha | 1:15.000 |
| 1 Ha y menor a 10 Ha | 1:10.000 |
| Mayor o igual a 10 Ha | 1:5.000 |
TABLA 2. PRECISIÓN DE LAS POLIGONALES CERRADAS.
La precisión relativa de una poligonal se expresa como la fracción
![]()
9.3.MEDICIONES CON CINTA MÉTRICA
La medición con cinta podrá realizarse complementariamente cuando por limitación de accesibilidad, visual o interferencia no pueda aplicar los métodos anteriores. Dichas mediciones deben realizarse con precisión de 1:1.000.
10. MEDICIÓN CONTROLADA
Los levantamientos topográficos o planimétricos a partir de la metodología GNSS Estático Rápido Diferencial deben satisfacer la medición controlada (Igartua, 2018) para los puntos de linderos, en los cuales se presenten cambio de dirección en la línea o cambio de colindancia, obteniendo mínimo dos datos del mismo punto, con una diferencia de 30 minutos entre la toma de las mediciones.
La medición controlada no aplica para linderos arcifinios definidos por entidades geográficas naturales como cuerpos de agua (por su carácter de intermitencia o fluctuación) y otros rasgos topográficos como filos o cuchillas, cuando no están materializados artificialmente.
Los puntos levantados con medición controlada deben satisfacer los criterios de exactitud mencionados a continuación:
| AREA PREDIO (M2) | EXACTITUD POSICIONAL ABSOLUTA (m) |
| Menor o igual a 2.000 | 0.2 |
| 2.000,1.. 5.000 | 0.3 |
| 5.000,1.. 50.000 | 0.5 |
| Mayor a 50.000 | 1 |
TABLA 3. CRITERIOS DE EXACTITUD
11. PLANO PREDIAL
El plano predial se debe presentar en coordenadas cartesianas locales, en formato digital e impreso, según Anexo B. Plano Predial, con extensiones PDF y DXF (se puede adicionar archivo SHAPE), debiendo contener como mínimo:
- Nombre o dirección del predio.
- Identificación predial.
- Cuadro de áreas.
- Localización (departamento y municipio).
- Cuadro de coordenadas de puntos topográficos base.
- Cuadro de coordenadas de puntos de lindero.
- Sistema de Referencia. Datum geodésico.
- Proyección cartográfica local.
- Origen de proyección de coordenadas cartesianas locales
- Norte geográfico.
- Convenciones y leyenda, de puntos topográficos, de lindero y del levantamiento (construcciones, terreno y detalles).
- Nomenclatura de los puntos geodésicos base.
- Línea de colindancia acotada.
- Nombre de los colindantes y cédula catastral.
- Cuadrícula de coordenadas cartesianas locales, con intervalos dados en números enteros relacionados con la escala del ploteo.
- Escala gráfica y numérica de ploteo. La escala de representación debe ser adecuada al área del predio y emplear escalas comerciales.
- Nombre del topógrafo, tarjeta profesional o matricula profesional, fecha del levantamiento y firma.
- Nombre y apellidos de quien revisa, quien aprueba y la fecha. (para manejo interno de la autoridad catastral competente)
12. ENTREGABLES
Los productos e insumos a entregar deben satisfacer la estructura en árbol de carpetas relacionada y descrita a continuación:
- NOMBRE DEL PREDIO.
- - DESCRIPCIONES.
- - - PUNTO TOPOGRAFICO BASE.
- - - - Anexo A. Descripción de Punto Topográfico Base.xls..
- - PUNTO GEODÉSICO.
- - - - Anexo C. Descripción de Punto Geodésico.xls.
- - ESQUEMAS.
- - - ESQUEMA DE DETERMINACION CAMPO AAAA-MM-DD.pdf.
- - HOJAS DE CAMPO.
- - - AAAA-MM-DD.
- - - - Anexo D. Hoja de Campo para Observaciones GNSS.xls
- - DATOS DE CAMPO.
- - - GNSS.
- - - - CRUDOS.
- - - - - AAAA-MM-DD.
- - - RINEX.
- - - - AAAA-MM-DD
- - -ÓPTICOS.
- - - - CERTIFICADO DE CALIBRACIÓN..
- - - - - CERTIFICADO DE CALIBRACIÓN.pdf.
- - - CRUDOS.
- - - - AAAA-MM-DD.
- - CARTERAS DE CAMPO.
- - - Anexo E. Cartera de Campo para Lev Topo por Método GNSS.xls.
- - - Anexo F. Cartera de Campo para Lev Topo por Métodos Ópticos.xls.
- REGISTRO FOTOGRÁFICO.
- - LINDEROS.
- - - IDENTIFICADOR LINDERO.JPG.
- - PUNTO.
- - - NOMBRE DEL PUNTO TOPOGRÁFICO.JPG.
- - - NOMBRE DEL PUNTO GEODÉSICO.JPG.
- PROCESAMIENTO GNSS.
- - Informes.
- - - INFORME TECNICO DE CÁLCULOS.pdf.
- - - ESQUEMA DE DETERMINACIÓN AAAA-MM-DD.pdf (Cálculos).
- - Coordenadas.
- - - Cuadro de Coordenadas Geográficas.xls.
- - - Cuadro de Coordenadas Gauss-Krüger.xls.
- - - Cuadro de Coordenadas Cartesianas Locales.xls.
- - Efemerides.
- - INFORMES DE CÁLCULO POR VECTOR
- - - PUNTO TOPOGRAFICO BASE-A-PUNTO LEVANTAMIENTO.pdf.
- PROCESAMIENTO ÓPTICOS.
- - Informes.
- - - REPORTE TÉCNICO DE CÁLCULOS DE LA POLIGONAL.pdf.
- - - REPORTE TÉCNICO DE CÁLCULOS PUNTOS DE LINDERO.pdf.
- - Coordenadas.
- - - Cuadro de Coordenadas Gauss-Krüger.xls.
- - - Cuadro de Coordenadas Cartesianas Locales.xls.
- INFORME.
- - INFORME TÉCNICO DEL LEVANTAMIENTO.pdf.
- - REDACCION TECNICA DE LINDEROS.
- - PLANO PREDIAL.
- - - Anexo B. PLANO_NOMBRE PREDIO Cartesianas Locales.dwg.
- - - PLANO_NOMBRE PREDIO Cartesianas Locales.pdf
Figura 1. Estructura digital para levantamientos topograficos.
El nombre el directorio principal es el número de matrícula inmobiliaria. Dentro de éste directorio se encuentran los siguientes subdirectorios:
PREDIO.
- DESCRIPCIONES.
- - PUNTO TOPOGRAFICO BASE.
- - - Anexo A. Descripción de Punto Topografico Base.xls.
- - PUNTO GEODÉSICO.
- - - Anexo C. Descripción de Punto Geodesico.xls.
DESCRIPCIONES: contiene dos (2) carpetas nombradas de la siguiente manera:
PUNTO TOPOGRÁFICO BASE: contiene los archivos en formatos.xls de las descripciones de cada uno de los puntos topográficos base utilizados en el proyecto identificándola con el nombre del punto. Ver Anexo A. Descripción de punto topográfico base.
PUNTO GEODÉSICO: contiene los archivos en formatos.xls por cada punto geodésico de amarre, llamando a cada archivo con el nombre del punto impreso en la placa o, en su defecto, el que registre en la descripción. Ver Anexo C. Descripción de punto geodésico.
- - ESQUEMAS.
- - - ESQUEMA DE DETERMINACION CAMPO AAAA-MM-DD.pdf.
ESQUEMAS: contiene todos los esquemas de ocupación generados por día de rastreo en formato.pdf nombrado con la fecha en que se realizó la observación; Estos esquemas de determinación son los generados en el software correspondiente a equipos de topografía.
HOJAS DE CAMPO.
- - AAAA-MM-DD.
- - - Anexo D. Hoja de Campo para Observaciones GNSS.xls.
HOJAS DE CAMPO: contiene una carpeta por cada día de rastreo, nombrada con la fecha del día de la observación separada por guiones de la siguiente manera AAAA-MM-DD. Dentro de cada carpeta se guardarán los archivos correspondientes a cada hoja de campo en formato.xls de todos los puntos rastreados en esa fecha y nombrando cada archivo según la nomenclatura del punto. Ver Anexo D. Hoja de campo para observaciones GNSS.
DATOS DE CAMPO
- - GNSS.
- - - CRUDOS.
- - - - AAAA-MM-DD.
- - - RINEX.
- - - - AAAA-MM-DD
- - ÓPTICOS.
- - - CERTIFICADO DE CALIBRACIÓN.
- - - - CERTIFICADO DE CALIBRACION.pdf
- - - CRUDOS.
- - - - AAAA-MM-DD.
DATOS DE CAMPO: contiene dos (2) carpetas, nombradas de la siguiente manera:
GNSS: contiene dos (2) carpetas. Mencionadas a continuación:
CRUDOS: contiene una carpeta por cada día de rastreo, nombrada con la fecha del día de la observación separada por guiones de la siguiente forma AAAA-MM-DD. En ésta carpetas deben estar los puntos topográficos base con su respectivo nombre y debe contener los puntos de lindero claramente identificados.
RINEX: contiene una carpeta por cada día de rastreo, nombrada con la fecha del día de la observación separada por guiones de la siguiente forma AAAA-MM-DD. En ésta carpetas deben estar los puntos topográficos base con su respectivo nombre y debe contener los puntos de lindero claramente identificados.
ÓPTICOS: contiene dos (2) tipos carpetas, mencionadas a continuación:
CERTIFICADO DE CALIBRACIÓN: contiene el certificado de calibración con fecha de expedición no mayor a seis (6) meses, del equipo óptico empleado. Debe ser expedido por un laboratorio certificado por el ICONTEC.
CRUDOS: contiene los datos crudos en sistema de referencia MAGNA-SIRGAS obtenidos en la poligonal y los datos de levantamiento. Esta carpeta por cada día del levantamiento, nombrada con la fecha en que se levantó separada por guiones de la siguiente forma AAAA-MM-DD. (Anexar el crudo en formato.txt).
- - CARTERAS DE CAMPO.
- - - Anexo E. Cartera de Campo para Lev Topo por Método GNSS.xls.
- - - Anexo F. Cartera de Campo para Lev Topo por Métodos Ópticos.xls.
CARTERAS DE CAMPO: contiene una carpeta por cada día de levantamiento, nombrada con la fecha del día en que se levantó separada por guiones de la siguiente manera AAAA-MM-DD. Dentro de cada carpeta se guardarán los archivos correspondientes a cada cartera de campo en formato.xls del levantamiento dependiendo el método que se emplee ya sea GNSS u óptico. Ver Anexo E. Cartera de Campo para Lev Topo por Método GNSS.xls y Anexo F. Cartera de Campo para Lev Topo por Métodos Ópticos.xls.
REGISTRO FOTOGRÁFICO.
- - LINDEROS.
- - - IDENTIFICADOR LINDERO.JPG..
- - PUNTO.
- - - NOMBRE DEL PUNTO TOPOGRAFICO.JPG.
- - - NOMBRE DEL PUNTO GEODESICO.JPG
REGISTRO FOTOGRÁFICO: este subdirectorio contiene las siguientes carpetas:
LINDEROS: contiene las imágenes en formato JPG correspondientes a vistas o panorámicas de los puntos de lindero, también contiene elementos característicos y/o relevantes del paisaje de donde se desarrolló el proyecto, estas imágenes deben llamarse con el nombre del punto, seguido de una raya al piso y un número consecutivo, o deben nombrarse por medio de la información relevante de la imagen.
PUNTO: contiene las imágenes en formato JPG correspondientes a vistas o panorámicas de los puntos topográficos base y puntos geodésicos, se denominan con el nombre del punto, seguido de una raya al piso y el número que se indica en el ejemplo a continuación:
| Imagen de perfil | NOMBRE DEL PUNTO _1 |
| Croquis detallado | NOMBRE DEL PUNTO _2 |
| Croquis general | NOMBRE DEL PUNTO _3 |
| Imagen de la Placa | NOMBRE DEL PUNTO _4 |
| Diagrama de obstáculos | NOMBRE DEL PUNTO _5 |
TABLA 1. EJEMPLO DE NOMBRES DE LAS IMÁGENES JPG PARA LOS PUNTOS TOPOGRAFICOS BASE Y GEODESICOS.
PROCESAMIENTO.
- - GNSS.
- - - INFORMES.
- - - - INFORME TECNICO DE CALCULOS.pdf
- - - - ESQUEMA DE DETERMINACION AAAA-MM-DD.pdf (Cálculos).
- - - COORDENADAS.
- - - - Cuadro de Coordenadas Geograficas.xls.
- - - - Cuadro de Coordenadas GAUSS.xls.
- - - - Cuadro de Coordenadas CARTESIANAS LOCALES.xls.
- - - EFEMERIDES.
- - - INFORMES DE CALCULO POR VECTOR.
- - - - PUNTO TOPOGRAFICO BASE-A-PUNTO LEVANTAMIENTO.pdf.
- - OPTICOS.
- - - INFORMES.
- - - - REPORTE TECNICO DE CALCULOS POLIGONAL.pdf o.xls.
- - - - REPORTE TECNICO DE CALCULOS RADIACION.pdf o.xls.
- - - - ESQUEMA DE DETERMINACION POLIGONAL.pdf.
- - - COORDENADAS.
- - - - Cuadro de Coordenadas CARTESIANAS LOCALES.xls.
- - - - Cuadro de Coordenadas GAUSS.xls.
PROCESAMIENTO GNSS: contiene cuatro (4) carpetas, mencionadas a continuación:
INFORMES: contiene el informe o reporte en formato.pdf, generado por el software con el que se realice el postproceso.
COORDENADAS: contiene los cuadros de coordenadas en geográficas, planas y Gauss- Krüger en formato.xls
EFEMERIDES: contiene los archivos en formato.sp3 con las efemérides del día anterior, día de rastreo y día siguiente.
Tener presente los periodos de tiempo para la publicación de las efemérides precisas:
- IGU: órbita ultra rápida. La Latencia que van desde 3 a 9 horas se ponen a disposición 4 veces por día.
- IGR: órbita rápida, tiene una latencia que van desde 17 a 41 horas.
- IGS: órbita final, el resultado de la combinación órbitas de varios centros de análisis, la latencia varía 12-18 días después de la recogida de datos.
INFORMES DE CÁLCULO POR VECTOR: Esta debe contener los informes generados en el software de cálculo en formato.pdf, se debe generar un reporte por cada vector.
PROCESAMIENTO ÓPTICOS: contiene dos (2) carpetas, mencionadas a continuación:
INFORMES: contiene el reporte o cartera de cálculo de la poligonal y radiación, en formato.pdf o.xls. También se entrega un esquema de determinación de la poligonal trazada.
COORDENADAS: contiene los cuadros de coordenadas planas de Gauss-Krüger y planas cartesianas locales en formato.xls.
INFORME
- - INFORME TÉCNICO DEL LEVANTAMIENTO.pdf.
INFORME: contiene el informe técnico en formato.pdf., el cual debe detallar los procedimientos utilizados en el levantamiento.
PLANO.
- - Anexo B. PLANO PREDIO Cartesianas Locales.dwg.
- - Anexo B. PLANO PREDIO Cartesianas Locales.pdf.
PLANO: contiene el plano generado del levantamiento según los parámetros del formato Anexo B. Se deben entregar en formatos.dxf y.pdf proyectado en coordenadas cartesianas locales.
13. ANEXOS
13.1. ANEXO A. DESCRIPCION DE PUNTO TOPOGRÁFICO BASE

FIGURA 1. FORMATO DE DESCRIPCIÓN DE PUNTO TOPOGRÁFICO BASE
INSTRUCCIONES DE DILIGENCIAMIENTO PARA FORMATO DE DESCRIPCIÓN DE PUNTO TOPOGRÁFICO BASE.
Nomenclatura Punto: Nomenclatura generada en el levantamiento.
Fecha: Época de exploración o materialización del punto, se registra AAAA-MM-DD.
Municipio: Nombre del municipio según la división político administrativa donde se ubica el punto materializado.
Sitio: Lugar donde se encuentra ubicado el punto, si está localizado en una zona rural se denominará (finca, restaurante, tienda u otro punto de referencia).Si está en una zona urbana se utilizará la dirección (Nomenclatura del inmueble).
Nomenclatura Placa: Nomenclatura estampada en la placa.
Departamento: Nombre del departamento según la división político administrativa donde se ubica el punto materializado.
Vereda / Barrio: Nombre de la vereda en la que se encuentra el punto (localización rural). Nombre del Barrio en el que se encuentra localizado el punto (Localización Urbana).
COORDENADAS NAVEGADAS MAGNA SIRGAS (equivalente WGS-84).
Registre la latitud
, longitud
en grados
minutos (´) y segundos (´´).
Registre la altura elipsoidal (H) en metros (M)
MONUMENTACION
Fecha: Fecha en la que se construye el punto, se diligencia AAAA-MM-DD.
Tipo: Puede ser incrustación, pilastra, mojón de concreto y otros.
Estado del punto: Condiciones físicas del punto materializado, el cual se puede clasificar en:
Bueno: Cuando no presenta deterioro en la placa ni en el concreto. Regular: Cuando presenta algún deterioro físico que no altera su ubicación. Destruido: Si el punto fue movido de su posición original o fue cubierto por alguna construcción, vía etc. En estos casos se considera destruido y solamente se diligencian los campos del estado del punto y en el campo de observaciones, indique el nombre de la persona y la fecha en que se realiza la exploración.
Croquis general: Debe reflejar todo lo redactado en el acceso general para permitir el fácil acceso al punto. Se puede usar cartografía siembre y cuando esta permita identificar los centros poblados, vías, ríos, los cuales deben llevar su respectivo nombre y sentido en el caso de ser una vía, en el caso de que la cartografía no sirva, se puede realizar un croquis o un bosquejo a mano.
Croquis detallado: Debe representar un levantamiento aproximadamente a 30 m al rededor del punto. El cual permita acceder al punto de forma rápida y clara, indique los puntos que se observaron desde los objetos (referencias) al punto geodésico, enumerados según el cuadro de referencias medidas de los objetos al punto, represente el azimut allí registrado. En este croquis el punto geodésico debe estar representado mediante la simbología establecida para el mismo.
Diagrama de obstáculos: Dibuje todos los obstáculos sin importar la distancia en el horizonte y que tengan una elevación mayor a 10°. Estos deben ser dibujados mediante puntos los cuales indican lo azimuts y elevaciones del objeto, únalos mediante líneas. No debe registrar la descripción de planta del objeto, ejemplo: un árbol, sino los puntos del azimut y elevación que describen el perímetro del objeto unidos por líneas.
13.2. ANEXO B. PLANO PREDIAL

13.3. ANEXO C. DESCRIPCIÓN DE PUNTO GEODÉSICO

INSTRUCCIONES DE DILIGENCIAMIENTO PARA FORMATO DE DESCRIPCIÓN DE PUNTO GEODÉSICO
Nomenclatura Punto: Nomenclatura generada por el GIT de Geodesia
Fecha: Época de exploración o materialización del punto, se registra AAAA-MM-DD.
Municipio: Nombre del municipio según la división político administrativa donde se ubica el punto materializado.
Sitio: Lugar donde se encuentra ubicado el punto, si está localizado en una zona rural se denominará (finca, restaurante, tienda u otro punto de referencia).Si está en una zona urbana se utilizará la dirección (Nomenclatura del inmueble).
Nomenclatura Placa: Nomenclatura estampada en la placa.
Departamento: Nombre del departamento según la división político administrativa donde se ubica el punto materializado.
Vereda / Barrio: Nombre de la vereda en la que se encuentra el punto (localización rural). Nombre del Barrio en el que se encuentra localizado el punto (Localización Urbana).
COORDENADAS NAVEGADAS MAGNA SIRGAS (equivalente WGS-84).
Registre la latitud
, longitud
en grados
minutos (´) y segundos (´´).
Registre la altura elipsoidal (H) en metros (M)
MONUMENTACION
Fecha: Fecha en la que se construye el punto, se diligencia AAAA-MM-DD.
Tipo: Puede ser incrustación, pilastra, mojón de concreto y otros.
Estado del punto: Condiciones físicas del punto materializado, el cual se puede clasificar en:
Bueno: Cuando no presenta deterioro en la placa ni en el concreto. Regular: Cuando presenta algún deterioro físico que no altera su ubicación. Destruido: Si el punto fue movido de su posición original o fue cubierto por alguna construcción, vía etc. En estos casos se considera destruido y solamente se diligencian los campos del estado del punto y en el campo de observaciones, indique el nombre de la persona y la fecha en que se realiza la exploración.
Croquis general: Debe reflejar todo lo redactado en el acceso general para permitir el fácil acceso al punto. Se puede usar cartografía siembre y cuando esta permita identificar los centros poblados, vías, ríos, los cuales deben llevar su respectivo nombre y sentido en el caso de ser una vía, en el caso de que la cartografía no sirva, se puede realizar un croquis o un bosquejo a mano.
Croquis detallado: Debe representar un levantamiento aproximadamente a 30 m al rededor del punto. El cual permita acceder al punto de forma rápida y clara, indique los puntos que se observaron desde los objetos (referencias) al punto geodésico, enumerados según el cuadro de referencias medidas de los objetos al punto, represente el azimut allí registrado. En este croquis el punto geodésico debe estar representado mediante la simbología establecida para el mismo.
Diagrama de obstáculos: Dibuje todos los obstáculos sin importar la distancia en el horizonte y que tengan una elevación mayor a 10°. Estos deben ser dibujados mediante puntos los cuales indican lo azimuts y elevaciones del objeto, únalos mediante líneas. No debe registrar la descripción de planta del objeto, ejemplo: un árbol, sino los puntos del azimut y elevación que describen el perímetro del objeto unidos por líneas.
Monumento por: Nombre completo del profesional de campo que monumentó el punto geodésico.
Ancho (m): Longitud que tiene el mojón en una de sus aristas (m).
Largo (m): Una vez se toma el ancho del punto materializado se mide la longitud de la otra arista, medida se registra en (m).
Altura (m): Distancia en metros que hay desde el piso hasta la superficie de la placa.
Acceso general: Informe del acceso al punto, describiendo el centro poblado desde el cual se inicia la exploración, indique las vías, caminos o carreteables que permitan el acceso, utilizando la orientación norte, sur, este, oeste y sus combinaciones, evite palabras como derecha o izquierda, indique las distancias con sus respectivas unidades, los miles se separan por un espacio y los decimales por coma. Todo lo que se escriba en este campo debe reflejarse en el croquis general.
Perfil: Debe contener una imagen que describa el perfil del punto geodésico.
Descripción detallada: Describa concretamente en qué lugar queda ubicado el punto teniendo en cuenta un radio de 30 metros alrededor de mismo, nombrando los objetos de referencia al punto geodésico.
Imagen de la placa: Fotografía de la placa con buena resolución de imagen que permita la identificación de la nomenclatura de la placa.
REFERENCIAS MEDIDAS DE LOS OBJETOS AL PUNTO
No.: Consecutivo de la referencia.
Objeto: Nombre del punto de referencia. Si encuentra puntos geodésicos materializados intervisibles, es obligatorio su registro.
Azimut magnético: Azimut magnético medido con brújula desde el objeto hasta el punto geodésico.
Distancia (m): Longitud que existe entre el punto geodésico y el objeto tomado como referencia.
Observaciones: Efectúe las que haya lugar y que sean significativas para la ubicación o acceso al punto. Registre la fecha en la que se encuentra el punto movido o destruido.
Describió: Nombre del comisionado que exploró el punto.
13.4. ANEXO D. HOJA DE CAMPO PARA OBSERVACIONES GNSS

INSTRUCCIONES DE DILIGENCIAMIENTO PARA FORMATO HOJA DE CAMPO PARA OBSERVACIONES GNSS
Deberá se diligenciado por el servidor público que realice las labores de ocupación del punto en el sitio, con el objeto de registra el tipo de levantamiento, equipo y funcionamiento en el momento de la ocupación del punto.
Fecha: Registre la fecha AAAA-MM-DD en la que fue posicionado el punto con quipo GPS. Marque con X el tipo de levantamiento según se esté ejecutando: estático, estático rápido o cinemático.
Punto: Registre la nomenclatura del punto posicionado. Si se trata de un punto geodésico registre la nomenclatura estampada en la placa.
Marque con X el tipo de punto según se esté ejecutando.
INFORMACIÓN DEL EQUIPO UTILIZADO
Marca del receptor: Registre la marca del receptor GPS.
Serial del receptor: Registre el serial del receptor GPS.
Modelo de la antena: Registre el modelo de la antena GPS.
Operador: Escriba los nombres y apellidos del personal que diligencia el formato y opera el equipo.
Modelo del receptor: Registre el modelo del receptor GPS.
Marca de la antena: Registre la marca de la antena GPS.
Serial de la antena: Registre el serial de la antena GPS.
REGISTRO DE FUNCIONAMIENTO EN CAMPO
Ingrese la información del trabajo del equipo en las labores de campo, cada determinado nuero de minutos según lo indique el protocolo de levantamientos GNNS. Se recomienda cada 15 minutos.
Hora: La hora de chequeo del funcionamiento del equipo, hora local sistema 24 horas.
GDOP: Registre el GDOP suministrado por el equipo al momento del chequeo. No. De épocas: El número de épocas al momento del chequeo.
Memoria: Registre el especio en memoria ocupado por la información en el momento del chequeo.
MEDICIÓN DE LA ALTURA
Medición de la altura: Seleccione solamente una de las opciones según el tipo de armada del equipo: trípode, bastón o pilastra, si no corresponde a las anteriores indique en otro la forma seleccionada. Registre la altura del equipo en metros al inicio y al final de posicionamiento, según sea el caso de acuerdo a las especificaciones del equipo.
Tipo de medición: Marque con X el tipo de medición del equipo: inclinada o vertical GHM007.
POSICIÓN NAVEGADA
Registre las coordenadas geográficas y la altura elipsoidal del punto así:
Latitud °: Grados de la latitud navegada.
Latitud ´: Minutos de la latitud navegada.
Latitud ´´: Segundos de la latitud navegada con tres decimales.
Longitud °: Grados de la longitud navegada.
Longitud ´: Minutos de la longitud navegada.
Longitud ´´: Segundos de la longitud navegada con tres decimales.
N.. S: Marque con una X el campo seleccionado según la dirección de la latitud (N o S).
En observaciones: Efectúe los comentarios pertinentes sobre el posicionamiento del punto con el equipo.
Altura elipsoidal: Registre la altura elipsoidal suministrada por el equipo con dos decimales.
Nota: No diligencie los campos del registro de funcionamiento en campo y posición navegada, si el equipo no posee display, solo diligencie hora de inicio y finalización del rastreo.
13.5. ANEXO E. CARTERA DE CAMPO PARA LEVANTAMIENTOS TOPOGRAFICOS POR METODOS GNSS

13.6. ANEXO F. CARTERA DE CAMPO PARA LEVANTAMIENTOS TOPOGRAFICOS POR METODOS ÓPTICOS

14. REFERENCIAS
Codazzi, I. G. (2005). Adopción Sistema de Referencia Geodésico MAGNA-SIRGAS para Colombia. Bogotá: Resolución 068 de 2005.
Codazzi, I. G. (2012). Manual de Levantamientos Topográficos de Precisión. Bogotá: IGAC.
Codazzi, I. G. (8002014CE161 29-04-2014). Especificaciones Técnicas para Levantamientos Planimétricos y/o Topográficos Prediales del Perímetro-Resolución No. 193 de 2014 "Actualización de Cabida y/o linderos"-Artículo 26 de la Ley 1682 de 2013. Bogotá: IGAC.
Codazzi, S. d. (Resolución Conjunta SNR No. 1732 e IGAC No. 221 de 21-02-2018). Lineamientos y procedimientos para la corrección o aclaración, actualización, rectificación de linderos y área, modificación física e inclusión de área de bienes inmuebles. Bogotá: No Aplica.
Igartua, K. A. (2018). Aseguramiento de la Calidad en el Levantamiento Predial Versión 1.0/Modernización de la Administración de Tierras en Colombia/Agencia de Implementación (bsf swissphoto). Bogotá: Embajada de Suiza en Colombia-Cooperación Económica y Desarrollo (SECO).



